Gå til hovedinnhold

Presenterer nye marine grunnkart for Troms


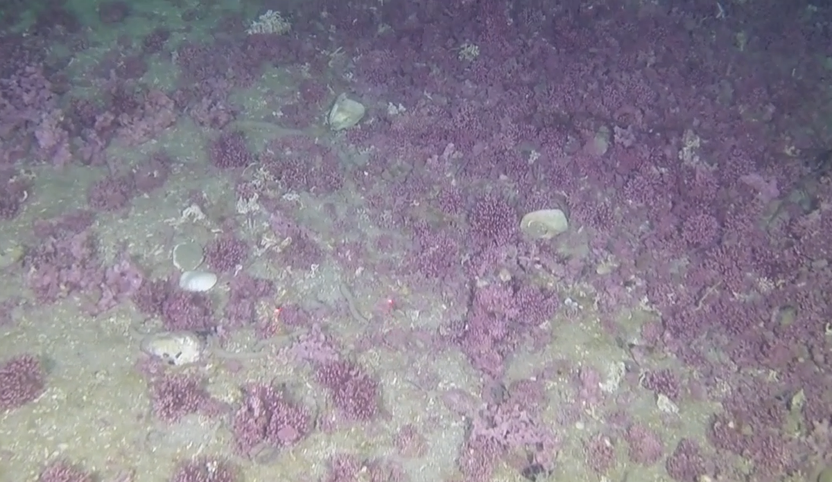
Ruglbunn utenfor Troms.

Både ruglbunn, begerkoraller og svamphager er regnet som sårbar natur. Disse naturtypene finner vi en del av i områdene rundt Troms.

Fotograf: NGU

Presenterer nye marine kart under Nor-Fishing: – Målet med kartene er at vi skal få mer kunnskap om hva som finnes hvor. 

De marine grunnkartene for Sunnmøre har gitt fiskerne verdifull informasjon som de bruker i arbeidet sitt. Under Nor-Fishing blir det neste settet med kart presentert: Denne gang fra Kvænangen i Troms.

Under kartleggingen har havforskerne funnet alt fra ruglbunn til koraller og svamphager.

– Målet med å lage disse kartene er at vi skal få mer kunnskap om hva som finnes hvor. Dette er nyttig for å bedre forvaltningen av de marine ressursene vi har langs kysten, og kan forhåpentligvis redusere konfliktnivåer når det kommer til arealplanlegging, sier Barbro Taraldset Haugland.

Barbro Taraldset Haugland
Barbro Taraldset Haugland har analysert timevis med video for å kartlegge hva som faktisk finnes under havoverflaten. Foto: Christine Fagerbakke/Havforskningsinstituttet.

Kan skåne sårbare naturtyper

Både ruglbunn, begerkoraller og svamphager er regnet som sårbar natur. Disse naturtypene finner vi en del av i områdene rundt Troms. De store begerkorallene ligger i tillegg strødd utover på bløtbunnen. Dette skiller seg ut fra de andre områdene som er kartlagt. Kartene gir også informasjon om både bunn- og strømforhold.

–  For fiskerne betyr det for eksempel at de kan bruke mindre tid på å lete etter de gode fiskebankene, så de sparer både tid og drivstoff. I tillegg kan de biologiske kartene vise dem hvor den sårbare naturen er, så de har større mulighet til å unngå å tråle i disse områdene. Og også at de slipper å ødelegge fiskeutstyr som følge av bunnforholdene, sier Taraldset Haugland og legger til:

– Ruglbunnen er nok for grunn til at de ville trålet her, men begerkorallen og sjæfjærbunnen ligger definitivt i områder som kan være utsatt for tråling.

Timevis med videomateriale

I pilotprosjektet har havforskerne filmet langs havbunnen i tre områder: Stavanger, Sunnmøre og Troms. Noen steder har de brukt en undervannsdrone, noen steder ROV, og andre steder har de slept kamera etter båten.

Barbro Taraldset Haugland har analysert timevis med video for å kartlegge hva som faktisk finnes under havoverflaten. Kvænangen i Troms er et av tre steder som skal undersøkes i prosjektet «marine grunnkart i kystsonen».

– Disse undersøkelsene gir oss mer bakgrunnsinfo. Noe natur er mer motstandsdyktig og noe mer sårbart og verdifullt. Disse kartene gir fylkeskommunene et verktøy slik at de har noe å forholde seg til, forklarer Taraldset Haugland.

Nok data til modellering

Alle timene med video gir havforskerne nok fysisk informasjon om miljøet de befinner seg i, til å modellere resten av kystlinjen i det samme geografiske området. 

Det er mange fysiske faktorer som spiller inn. Med å modifisere en NIN-analyse, som er en analysemetode biologer bruker for å kartlegge natur på land, kan havforskerne nå kartlegge hva som finnes under overflaten.

– Vi ser på algene for å kategorisere lysforholdene - finnes det tareskog eller er vi i rødalgebeltet? Vi ser også om bunnen består av organiske sedimenter eller skjellsand. Om bunnen har en helning, og om det danner seg sandbølger på bunn. Det kan fortelle oss hvilken retning bunnstrømmen går, forklarer Taraldset Haugland.