Gå til hovedinnhold

– Slik bør du leite etter korall og svamp før du plasserer eit oppdrettsanlegg


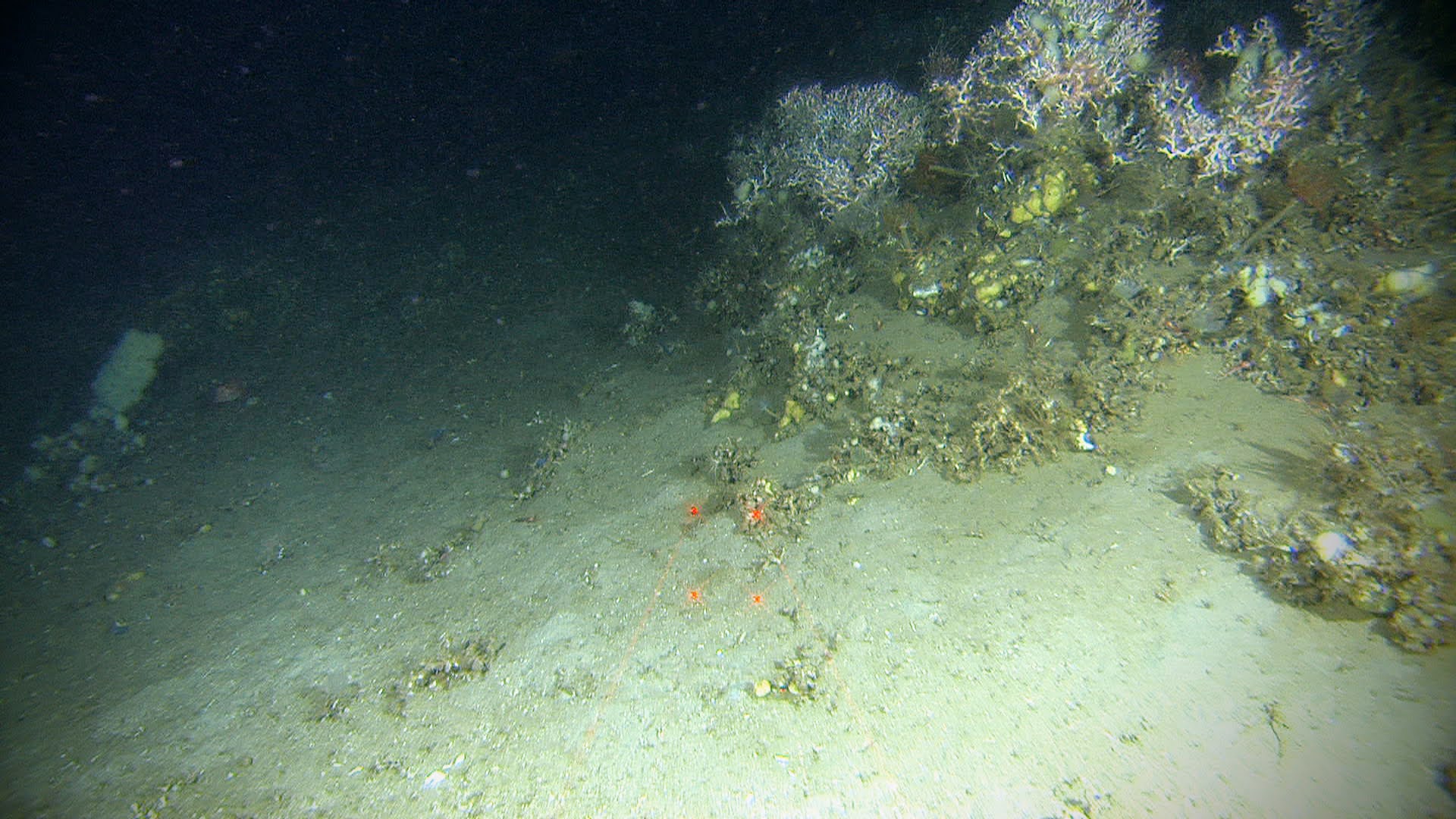
bukkarevet

I arbeidet med rapporten kom forskarane over det til då ukjende Bukkarevet ved Stord. Etterpå fekk dei fleire tips som leia til eit endå større korallrev i området.

Fotograf: Tina Kutti / Havforskningsinstituttet

Havforskarane føreslår ei rekke standardiserte metodar.

Kysten er lang og vi har lite detaljkunnskap om korleis havbotnen ser ut. (Les også: Fann variert natur utanfor Stavanger)

– Derfor føreslår vi no ei rekke konkrete metodar for korleis oppdrettarar kan kartlegge havbotnen best mogleg før dei søker om å få plassere ut eit oppdrettsanlegg, seier havforskar Tina Kutti.

Metodane legg dei fram i ein ny HI-rapport som svar på bestilling frå Fiskeridirektoratet. Gå til nettrapport.

Kan hindre at svamp og korall blir slamma ned

– Enkelt forklart er det utkast til ei oppskrift for korleis du skal filme havbotnen og analysere opptaka, seier Kutti.

Sjå forslaga nedst i saka.

Målet er å kunne skjerme sårbare naturtypar som korall og svamp frå nedfall av fôr, skit og eventuelle andre partiklar frå anlegga.

Forsking viser at nokre korallartar kan få redusert vekst opptil ein kilometer frå oppdrettsanlegg.

I eit forsøk plasserte forskarane korallar på havbotnen i ei linje ut frå oppdrettsanlegg for å måle påverknad. Her er Tina Kutti med kaldtvannskorallen Lophelia pertusa om bord på "Kristine Bonnevie". (Foto: Erlend A. Lorentzen / HI)

Ein første standard

Det har tidlegare ikkje vore krav om kartlegging av havbotnen. Det har blitt pålagt i nokre tilfelle der det har vore sterke mistankar om sårbare naturtypar. Men då har det mangla ein standardisert metode for å gjere kartlegginga.

Ein god metode for å samle inn kunnskap om artsmangfaldet på ein lokalitet, vil vere til stor nytte for næring og natur.

– I fjor var det ein dykkar som kom over ein stor førekomst av blomkålkorall like under eit nyleg anlagt oppdrettsanlegg. Oppdrettarane fekk konsesjonen trekt tilbake, forklarer Kutti.

– Ingen ønsker å hamne i ein slik situasjon, legg ho til.

Finst meir og mindre verdifulle område

Kaldtvannskorallar er raudlista. Dei dannar oppvekst- og leveområde for andre artar igjen, særleg i store rev. Desse tar det tusenvis av år å bygge opp igjen dersom dei blir øydelagde.

Både korall og svamp omset også karbon i havet.

– Samtidig finst det mange område med sletter og berg utan sårbare naturtypar, seier forskaren.

Kort oppsummering av dei viktigaste forslaga:

  • Sjøbotnen og dyresamfunna oppå den blir kartlagt med undervannskamera. Anten med ein sleperigg eller med ROV.
  • Kartlegginga skal dekke området under anlegget og 250 meter frå merdkant i alle retningar.
  • I område med to straumretningar, typisk i fjordar, skal kartlegginga dekke 1000 meter frå anlegget i begge retningane.
  • Er det uklare straummønster, skal kartlegginga dekke 500 meter i alle retningar.
  • Kartlegginga kan følge eit systematisk mønster over området, og/eller fokusere på interessante topografiske formasjonar.
  • Videoopptaka skal dekke minst 3-4 prosent av havbotnarealet for å vere representativt.
  • Kartlegginga blir planlagt og leia av ein kvalifisert person med dokumentert erfaring innan artsbestemming og -kartlegging
  • Dei må bruke høgoppløyst kamera og lys, maks to meter frå botnen ned logging av posisjon, pluss laserpunkt for å kunne bestemme storleiken på gjenstandar på bildet.
  • Forskarane beskriver korleis kartleggarane skal analysere det dei ser og berekne total mengde av kvar enkelt art per kvadratmeter, og korleis dei skal presentere resultata.
Laserpunkt med kjent avstand frå kvarandre set kartleggarane i stand til å berekne storleiken til objekta på bildet.

Rapporten er levert til Fiskeridirektoratet og dannar basis for ein endeleg rettleiar for slik kartlegging.

– Så er det eit forvaltningsspørsmål korleis samfunnet skal sette verdi på dei ulike naturtypane, og vege ulike omsyn opp mot kvarandre, seier Tina Kutti.

Les heile den vitskaplege rapporten ved å følge lenken under:

Referanse

Tina Kutti og Vivian Husa. "Forslag til metode for kartlegging av korall og svamp ved nye akvakulturanlegg" Rapport fra Havforskningen (2020). Gå til nettrapport.