Gå til hovedinnhold

Undersøkte korallrev i Ryfylke: En skattekiste av liv


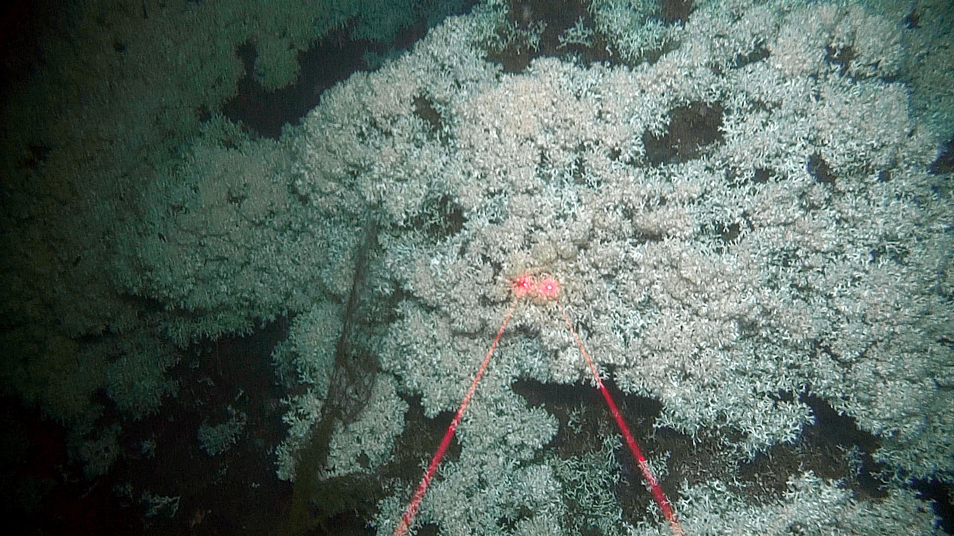
Koraller i hvitt og oransje.

Denne fargerike korallen har ikke norsk navn. På latin heter den Anthothela grandiflora.

Fotograf: Mareano / Havforskningsinstituttet

Det er den korte oppsummeringen etter at havforskere har besøkt korallrevet i Midtsundet i Ryfylke. 

Revet består av en av de sørligste forekomstene av korallen Desmophyllum pertusum (Lophelia pertusa) som er dokumentert langs vestlandskysten.  

– Økosystemet her er preget av en rik biologisk variasjon, men det er også sårbart, sier havforsker og korallekspert Pål Buhl-Mortensen. 

Revet ved Kjølvikskorpa i Midtsundet ble først dokumentert i 2014. Det ble vernet mot fiske og bunntråling i 2016. 

– Kartleggingen viser at dette revet har en utstrekning på omtrent 100 meter. Dette er typisk for mindre, isolerte rev i norske fjorder, som ofte har en begrenset utbredelse, sier han.

Det finnes også andre korallrev i dette området. Disse revene er ikke vernet. Det var ikke tid nok til å undersøke alle, derfor ble revet som er vernet prioritert.

Fjordrev er små og unike 

Selv om fjordrevene ofte er forholdsvis små, er de også unike i forhold til de som er lenger ute i havet. 

– Forskning har vist at revene som vokser i fjordene har litt andre gener enn de som er ute i havet, trolig på grunn av isolasjonen, sier Buhl-Mortensen. 

Norge har mange korallrev 

I norske fjorder og havområder er det mange større og mindre korallrev. De er bygd opp av kaldtvannskoraller, de aller fleste er Lophelia-rev.  

Ifølge Buhl-Mortensen er slike rev en levende oase som gir ly og næring til mange arter. Det stemmer også godt for det undersøkte revet i Midtsundet. 

En lang fisk svømmer like over havbunnen. Spredte koraller.
Pigghå var en av artene som dukket opp foran kameraet.
Foto: Mareano / Havforskningsinstituttet

– Blant høydepunktene observerte vi trollkrabber og lusuer som søkte tilhold i korallstrukturen, den fargerike korallen Anthothela grandiflora som mangler navn på norsk, og ikke minst kjempefilskjell, medusahode og pigghå, sier han. 

Hvite koraller. En bit av et fiskegarn ligger inne blant korallene.
Ser du godt etter kan du se en bit av et fiskegarn på dette Lophelia-revet. Siden revet ble vernet for 10 år siden er det trolig minst så lenge siden garnet havnet der, nå holder det på å bli overvokst av korallene.
Foto: Mareano / Havforskningsinstituttet

I tillegg kunne forskerne se spor etter menneskelig aktivitet. 

– Mellom korallgrenene kunne vi se fiskegarn. Det var nesten forsvunnet under korallene, så trolig er det et gammelt garn fra før revet ble vernet.

Dårlig vær førte til korallundersøkelse 

 Korallrevet ble undersøkt som en del av det pågående Mareano-toktet. Etter planen skulle de ha undersøkt områder som er aktuelle for havvind i Nordsjøen, men dårlig vær gjorde at de gikk inn i Boknafjorden. 

– Det er ikke mulig å gjennomføre de undersøkelsene vi skal ved stor bølgehøyde. Derfor valgte vi å bruke tiden på å kartlegge dette revet, samtidig som vi fikk testet utstyret slik at alt er klart når været løyer, sier Buhl-Mortensen som er prosjektleder for Mareano på HI. 

Brukte fjernstyrt undervannsfarkost 

En stor firkantet farkost henger i et tau over båtdekket, holder på å bli heist ut en lasteluke for å settes ned i sjøen.
Undervannsfarkosten Freyja på vei ut i sjøen for å kartlegge havbunnen.
Foto: Hilde Elise Heldal, Havforskningsinstituttet

Revet ble undersøkt ved hjelp av den fjernstyrte undervannsfarkosten (ROV) Freyja. 

– Den er blant annet utstyrt med kamera slik at vi kunne dokumentere tilstand på korallene og observere hvilke andre arter som lever her, sier han.