Go to main content

Mareano Leg 1 2023 Easter Cruise Report

— Cruise Report 2023001005

Author(s): Rebecca Ross (IMR), Terje Thorsnes (NGU), Tor Jan Meek (Kartverket), Josefina Johansson and Yngve Klungseth Johansen (IMR)
Cruise leader(s): Rebecca Ross (IMR)

Sammendrag

This cruise (onboard the RV G.O. Sars, 30.03.2023 to 12.04.2023 - 13 Days long starting and ending in Bergen, Norway) was focussed on surveying the coastal belt east of “Utsira Nord” (Utsira KB) and the two multibeam mapped areas close to “Sørlige Nordsjø II” (NSJ-1 and NSJ-2). These areas are of interest due to their proximity to the named offshore wind license areas and due to their overlap with “særlig verdiful områder” (SVO) which are areas of particular scientific and management interest.

The MAREANO baseline mapping method was applied, but this cruise was focussed upon completing the video lines in these areas, and testing the munin+ AUV for data uses and the integration of AUVs into the Mareano method. In addition, the Oil Directorate asked for 2 gravity cores from areas with suspected natural oil leakage, and limited physical sampling equipment was taken for contingency use.

One hundred and twenty reference stations were visited including completing 112 (225m long) video lines, along with 5 AUV missions (collecting EM2040, HISAS2040, SBP, CT, photo data). Furthermore, 8 CTDs, 5 Boxcores, 4 Multicores, 2 stations with grabs for checking if the gravity corer can be used (no proposed site had suitable substrate for gravity coring), and 2 stations with 5 replicate grabs each for biology/geology were completed. Topaz subbottom profiling (SBP) data was collected along and between video lines and all gravity corer proposed sites, with additional water column multibeam echosounder (EM302) data also collected over all the proposed gravity corer sites. Note that 3 video lines, 1 AUV mission and 2 CTD sites were within the fjords near stavanger (during poor weather) in areas where FOH granted declassificaiton for AUV activities.

1 - Abbreviations

The following Abbreviations are use throughout this report:

 

AUV: Autonomous Underwater Vehicle – here it is the Kongsberg Munin +.

CT: Conductivity and Temperature (but not Depth as is normal) – the AUV CT sensor does not collect pressure information that is converted into depth as standard, but it does have an altimeter/depth sensor as part of that navigation system so this data is also available.

CTD: Conductivity, Temperature and Depth sampling rosette

GC1, GC2, etc: Gravity Corer station where there had been requests from the Oil directorate to take gravity corer samples if possible. No sites had suitable sediment to take these samples in the end but the sites are still locations where sampling took place so are logged here.

HI: HavforskningsInstituttet or the Institute of Marine Research as it is called in English.

MBE: MultiBeam Echosounder

NGU: Norsk Geologiske Undersøkelse or the Norwegian Geological Survey as it is called in English.

NSJ-1; NSJ-2: Nord Sjø mapping areas, ames assigned by Mareano but often informed by industry mapping names such as the Sørlige Nordsjø II area which is the official name assigned to an offshore wind licensing area.

SVO: Særlig Verdiful Område – translates to “Especially Valuable Area” and is a Norwegian management region that currently has no protection measures but indicates an area of particular ecological value.

Utsira KB: The Ustira Kyst Belt – another Mareano mapping area name. Utsira is an island in the area and Norway’s smallest municipality.

 

2 - Aims

  • Apply Mareano method, generally following the 30 stations/1000 km2 rule (for SVO/very variable environments), with a focus on Video sampling (using the Chimera towed camera rig).

ACHIEVED

  • Test AUV (Munin +) for data uses and integration into the Mareano method.

ACHIEVED

  • Take 2 x gravity cores at the request of the Oil Directorate in areas with possible natural oil seepages.

CHECKED SITES WITH TOPAZ AND GRABS, NONE SUITED TO GRAVITY CORERS/ SHOWING CLEAR EVIDENCE OF OIL SEEPS, ADVISE RETURNING WITH VIBROCORER

  • When there are issues with Chimera/AUV take Boxcores, Multicores, Grabs (in that order) at proposed full stations to reduce the load on the summer cruise.

SOME SAMPLES TAKEN AT FULL STATIONS (DETAILS FOLLOW)

3 - Areas

Overview map highighting where the Utsira KB and NSJ-1 and NSJ-2 areas are situated relative to the coast of norway and relative to offshore wind license areas (Utsira Nord adjoins the west of Utsira KB, Sørlige Nordsjø II adjoins SW of NSJ-1) and overlapping SVO areas
Figure 1 Cruise focus areas (Utsira KB, NSJ-1, NSJ-2) with reference to nearby offshore wind licence areas and proposed and existing SVO

This cruise was focussed on:

  • Utsira KB = The coastal belt east of Utsira Nord offshore wind license area (including within the Kystebelt SVO), and

  • NSJ-1 and NSJ-2 areas = Multibeam mapped areas which sit alongside the Sorlig Nordsjo II offshore wind license area and overlap with the Tobis SVO and a small corner of the Norskerenna proposed SVO.

  • A small amount of additional sampling was performed in Fognafjorden (one of three sites in the fjords around Stavanger where we had applied for, and received, permission from FOH for declassification of the seabed) as a bad weather retreat area where AUV testing could continue while waiting for improved conditions. A CTD was also taken at a second site closer to Stavanger, but that area had too much fishing gear in the way to proceed with AUV/video surveys.

4 - People

Surname First name Institute Main Tasks
Bakkeplass Kjell Gunnar NMD Data management
Christensen Lene HI Biology/Instrument (AUV)
Dahl Martin HI Instrument (Ship)
Ernstsen Eyvind HI Instrument (AUV)
Fuglevik Anders HI Chemistry (sampling)
Haugland Barbro Taraldset HI Biology (video, sampling)
Johansen Yngve Klungseth HI Biology (video, sampling)
Johansson Maria Josefina HI Biology (video, sampling)
Kartveit Kyrre Heldal HI Biology/Geology/Instrument (AUV)
Larsen Sindre Nygård HI Instrument (Chimera)
Meek Tor Jan Kartverket Hydrography (AUV)
Meyer Heidi Kristina HI Biology (AUV)
Ohnstad Leif Johan HI Instrument (AUV)
Piechaud Nils HI Biology (AUV)
Plassen Liv NGU Geology (video, sampling)
Plotkin Alexander HI Biology (video, sampling)
Ross Rebecca HI Cruise leader (biology, all)
Saint-André Camille HI Biology (video, sampling)
Shyam Chand NGU Geology (video, sampling, AUV)
Thorsnes Terje NGU Geology (video, sampling, AUV)
Vee Ida HI Biology (video, sampling)
Voronkov Andrey HI Biology (video, sampling)
Wiberg Daniel Hesjedal NGU Geology (video, sampling)

5 - Activities

Priority

  • Chimera video stations (inc. attached mini grab; Biology, Geology)

  • Gravity corer (Geology, Chemistry – at the request of the Oil Directorate)

  • AUV testing and data collection (Geology, Hydrography, Biology)

Lower Priority

  • Boxcorer (Chemistry, Biology)

  • Multicorer (Chemistry, Geology, Biology)

  • Grabs (Biology, Geology)

6 - Collected Data

Infrmation about the data collected is here shown in the form of overview maps and a table of stations. More details are available in the day by day overview appendix or can be given upon request. 

An overview map of the cruise route is shown encompassing the south of Norway from Bergen in the north to the NS1 and NS2 areas that border the Danish EEZ.
Figure 2 An overview map showing the route of the cruise: Bergen, Utisira KB, NSJ1, NSJ2, Utsira KB, Fognafjorden, Utsira KB, Bergen (zoomed in maps of subareas follow)

The following maps show the overview of the route of this cruise and the sampling stations. A table follows showing all stations, data types collected there and a short description of what was seen on video lines.

 

 

Zoom in on the Utsira KB area of the map showing the zigzagging route of the cruise overlapping the multibeam data with stations labelled with R numers and symbols showing what type of data was collected there.
Figure 3 The Utsira Kyst Belt area showing reference station numbers sampled on this cruise (the numbering shows the order we visited them, starting at 3188-3200, then 3255-3301 excluding 3288-3290). Repeat visits to the area outside of 12nm were required for AUV testing.

 

 

Zoom in on the NSJ-1 and NSJ-2 areas of the map showing the zigzagging route of the cruise overlapping the multibeam data with stations labelled with R numers and symbols showing what type of data was collected there.
Figure 4 NSJ-1 (the larger area, reference stations 3201-3247, but excluding 3202 which is in the Sørlig Nordsjø II area and will be sampled in the future, here visited to check for the possibility of gravity coring with only a single grab sample taken) and NSJ-2 (smaller area, reference stations 3248-3254).

 

 

Zoom in on the Fgnafjorden area of the map showing the zigzagging route of the cruise overlapping the multibeam data with stations labelled with R numers and symbols showing what type of data was collected there.
Figure 5 On our second visit to Utsira, poor weather sent us inshore near Stavanger to Fognafjorden (the plan B weather retreat area where FOH approved the declassification of the seafloor for AUV testing. The plan A area in Horgefjorden, see inset, was checked but had too much fishing gear, marked by floats, to have confidence that we could launch the AUV or chimera safely) showing the AUV survey area where we have complete data (some was lost at the end of the mission, not marked), and the three Chimera video lines (R stations 3288-3290) – again other sites were prioritised in the NE but we found too much fishing gear in the way.

 

Data Collection Overview Tables

Table 1 - Overview of activities in order of R station per area(broken down with more detail in subsequent tables)

Date

Ended

Area

Pno

Rno

VLno

Ctd IDno

Box Corer IDno

Multi Corer IDno

Grab IDNo

AUV mission No

Comment

30.03

UtsiraKB

P42

3188

3269

 

2

3

 

 

 

31.03

UtsiraKB

P114

3189

3270

 

 

 

 

 

 

1.04

UtsiraKB

AUV_2023_Utsira_1a

 

 

253

 

 

 

Mission_55_ 20230401_6

ctd ON 31.03, auv 01.04, 1.5hrs data on 5.5hrs dive - 30m offset, low ping rate, blurry photos

31.03

UtsiraKB

P172

3190

3271

 

 

 

 

 

 

31.03

UtsiraKB

P173

3191

3272

 

 

 

 

 

 

31.03

UtsiraKB

P95

3192

3273

 

 

 

 

 

 

31.03

UtsiraKB

P174

3193

3274

 

 

 

 

 

 

31.03

UtsiraKB

P124

3194

3275

 

 

 

 

 

 

1.04

UtsiraKB

P181

3195

3276

 

 

 

 

 

Bumped into wreck

9.04

UtsiraKB

P165

3196

3361

 

3

6

 

 

Samples on 01.04, VL on 09.04

1.04

UtsiraKB

P111

3197

3277

 

 

 

 

 

 

1.04

UtsiraKB

P108

3198

3278

 

 

 

 

 

 

1.04

UtsiraKB

P99

3199

3279

 

 

 

 

 

 

9.04

UtsiraKB

P166

3281

3360

 

 

 

 

 

Topaz line on 01.04, VL on 09.04

9.04

UtsiraKB

P67

3200

3359

 

4

7

 

 

Samples on 02.04, VL on 09.04

2.04

NJS1

P548

3201

3280

254

 

 

 

 

 

2.04

NJS1

GC1

3202

 

 

 

 

8

 

 

2.04

NJS1

P569

3203

3281

 

 

 

 

 

 

2.04

NJS1

P570

3204

3282

 

 

 

 

 

 

2.04

NJS1

P588

3205

3283

 

 

 

 

 

 

2.04

NJS1

P564

3206

3284

 

 

 

 

 

 

3.04

NJS1

P580

3207

3285

 

 

 

 

 

 

3.04

NJS1

P547

3208

3286

 

5

 

10-15

 

Grabs and boxcorer on 04.04

3.04

NJS1

P566

3209

3287

 

 

 

 

 

 

3.04

NJS1

P587

3210

3288

 

 

 

 

 

 

3.04

NJS1

P546

3211

3289

255

 

 

 

 

CTD as close to AUV station

3.04

NJS1

P579

3212

3290

 

 

 

 

 

 

3.04

NJS1

P563

3213

3291

 

 

 

 

 

 

3.04

NJS1

P577B/by GC5

3214

3292

 

 

 

 

 

 

3.04

NJS1

AUV_2023_NSJ_2a

 

 

 

 

 

 

Mission_55_ 20230403_1

full dataset quality good, MBE pingrate too slow

3.04

NJS1

P584

3215

3293

 

 

 

 

 

 

3.04

NJS1

P577A/by P584

3216

3294

 

 

 

 

 

 

3.04

NJS1

P562

3217

3295

 

 

 

 

 

 

3.04

NJS1

P575A/NW

3218

3296

 

 

 

 

 

 

3.04

NJS1

P589

3219

3297

 

 

 

 

 

 

3.04

NJS1

P576

3220

3298

 

 

 

 

 

 

4.04

NJS1

P551

3221

3299

 

 

 

 

 

 

5.04

NJS1

P582

3222

3300, 3307

 

 

 

 

 

VL3300 on 04.04 includes ony scanning still section before Chimeral fail, returned next day

4.04

NJS1

AUV_2023_NSJ_3c

 

 

256

 

 

 

Mission_55_ 20230404_6

full dataset quality good, MBE pingrate still too slow despite attempted change

4.04

NJS1

GC5B

3223

 

 

 

 

9

 

AUV dive has data inc photos here

6.04

NJS1

P543

3224

3323

 

6-7

8

16-21

 

Took video on 06.04

4.04

NJS1

Extra 1

3225

3301

257

 

 

 

 

Alongside P577A/ AUV launch site

4.04

NJS1

AUV_2023_NSJ_4a

 

 

 

 

 

 

Mission_55_ 20230405_3

full dataset quality good, MBE pingrate still too slow (but good on internal trigger)

4.04

NJS1

P560

3226

3302

 

 

 

 

 

 

4.04

NJS1

P552

3227

3303

 

 

 

 

 

Jordfeil first time before VL - kept R and VL numbers for return later in day

6.04

NJS1

P550

3228

3304

258

 

 

 

 

 

6.04

NJS1

P578

3229

3305

 

 

 

 

 

 

6.04

NJS1

P586

3230

3306

 

 

 

 

 

 

6.04

NJS1

P561

3231

3308

 

 

 

 

 

 

6.04

NJS1

P575B/SE

3232

3309

 

 

 

 

 

 

6.04

NJS1

P568

3233

3310

 

 

 

 

 

 

6.04

NJS1

P581

3234

3311

 

 

 

 

 

 

6.04

NJS1

P549

3235

3312

 

 

 

 

 

 

6.04

NJS1

P573

3236

3313

 

 

 

 

 

 

6.04

NJS1

P571

3237

3314

 

 

 

 

 

 

6.04

NJS1

P553

3238

3315

 

 

 

 

 

 

6.04

NJS1

P572

3239

3316

 

 

 

 

 

 

6.04

NJS1

P574

3240

3317

 

 

 

 

 

 

6.04

NJS1

P557

3241

3318

 

 

 

 

 

 

6.04

NJS1

P558

3242

3319

 

 

 

 

 

 

6.04

NJS1

P559

3243

3320

 

 

 

 

 

 

6.04

NJS1

P554

3244

3321

 

 

 

 

 

 

6.04

NJS1

P545

3245

3322

 

 

 

 

 

 

6.04

NJS1

P544

3246

3324

 

 

 

 

 

 

7.04

NJS1

P590

3247

3325

 

 

 

 

 

 

7.04

NJS1

P567

3248

3326

 

 

 

 

 

 

7.04

NSJ2

P555

3249

3327

 

 

 

 

 

 

7.04

NSJ2

P556

3250

3328

 

 

 

 

 

 

7.04

NSJ2

P542

3251

3329

 

 

 

 

 

Moved start point due to weather (changed angle to waves) to 57*09.833 N, 006*19.507 E

7.04

NSJ2

P583

3252

3330

 

 

 

 

 

Suspected wreck was a lost container, posibly 2 - one intact

7.04

NSJ2

P565

3253

3331

 

 

 

 

 

 

7.04

NSJ2

P585

3254

3332

 

 

 

 

 

 

8.04

UtsiraKB

P118

3255

3333

 

 

 

 

 

 

8.04

UtsiraKB

P128

3256

3334

 

 

 

 

 

 

8.04

UtsiraKB

P41

3257

3335

 

 

 

 

 

 

8.04

UtsiraKB

P158

3258

3336

 

 

 

 

 

 

8.04

UtsiraKB

P115

3259

3337

 

 

 

 

 

 

8.04

UtsiraKB

P159

3260

3338

 

 

 

 

 

 

8.04

UtsiraKB

P50

3261

3339

 

 

 

 

 

 

8.04

UtsiraKB

P53

3262

3340

 

 

 

 

 

 

8.04

UtsiraKB

P44

3263

3341

 

 

 

 

 

 

8.04

UtsiraKB

P119

3264

3342

 

 

 

 

 

 

8.04

UtsiraKB

P48

3265

3343

 

 

 

 

 

 

8.04

UtsiraKB

P116

3266

3344

 

 

 

 

 

 

8.04

UtsiraKB

P133

3267

3345

 

 

 

 

 

 

8.04

UtsiraKB

P117

3268

3346

 

 

 

 

 

 

8.04

UtsiraKB

P129

3269

3347

 

 

 

 

 

 

8.04

UtsiraKB

P127

3270

3348

 

 

 

 

 

 

9.04

UtsiraKB

P45

3271

3349

 

 

 

 

 

 

9.04

UtsiraKB

P131

3272

3350

 

 

 

 

 

 

9.04

UtsiraKB

P120

3273

3351

 

 

 

 

 

 

9.04

UtsiraKB

P54

3274

3352

 

 

 

 

 

 

9.04

UtsiraKB

P126

3275

3353

 

 

 

 

 

 

9.04

UtsiraKB

P122

3276

3354

 

 

 

 

 

 

9.04

UtsiraKB

P63

3277

3355

 

 

 

 

 

 

9.04

UtsiraKB

P47

3278

3356

 

 

 

 

 

 

9.04

UtsiraKB

P125

3279

3357

 

 

 

 

 

 

9.04

UtsiraKB

P160

3280

3358

 

 

 

 

 

 

9.04

UtsiraKB

P46

3282

3362

 

 

 

 

 

 

9.04

UtsiraKB

P43

3283

3363

 

 

 

 

 

 

9.04

UtsiraKB

P164

3284

3364

 

 

 

 

 

 

9.04

UtsiraKB

P123

3285

3365

 

 

 

 

 

 

10.04

UtsiraKB

P52

3286

3366

 

 

 

 

 

 

10.04

UtsiraKB

P163

3287

3367

 

 

 

 

 

 

10.04

StavangerFjords

AUV_stav_PlanA

 

 

259

 

 

 

 

 

10.04

StavangerFjords

AUV_stav_PlanB

 

 

260

 

 

 

Mission_55_ 20230410_2

 

10.04

StavangerFjords

FJ14

3288

3368

 

 

 

 

 

 

10.04

StavangerFjords

FJ15

3289

3369

 

 

 

 

 

 

10.04

StavangerFjords

FJ16

3290

3370

 

 

 

 

 

is 380m long for photo groundtruthing - but stop still ab at 225m and start c for the end

11.04

UtsiraKB

P130

3291

3371

 

 

 

 

 

 

11.04

UtsiraKB

P161

3292

3372

 

 

 

 

 

 

11.04

UtsiraKB

P162

3293

3373

 

 

 

 

 

 

11.04

UtsiraKB

P49

3294

3374

 

 

 

 

 

 

11.04

UtsiraKB

P171

3295

3375

 

 

 

 

 

 

11.04

UtsiraKB

P106

3296

3376

 

 

 

 

 

 

11.04

UtsiraKB

P176

3297

3377

 

 

 

 

 

 

11.04

UtsiraKB

P132

3298

3378

 

 

 

 

 

 

11.04

UtsiraKB

P121

3299

3379

 

 

 

 

 

 

11.04

UtsiraKB

P51

3300

3380

 

 

 

 

 

 

11.04

UtsiraKB

P110

3301

3381

 

 

 

 

 

 

 

Table 2 - Video line data (in order of R station per area)

Date Ended 2023

Area

Pno

Rno

Vlno

Content of VL

VME (Yes No Maybe)

30.03

UtsiraKB

P42

3188

3269

Funiculina garden, predatory actiniaria

YES

31.03

UtsiraKB

P114

3189

3270

Ostur, E. spinax

YES

31.03

UtsiraKB

P172

3190

3271

Sea pen garden

YES

31.03

UtsiraKB

P173

3191

3272

Bedrock and sponges

YES

31.03

UtsiraKB

P95

3192

3273

Burrows, sea pens, some stones with HB sponges

MAYBE

31.03

UtsiraKB

P174

3193

3274

HB sponge garden

YES

31.03

UtsiraKB

P124

3194

3275

HB sponge garden

YES

1.04

UtsiraKB

P181

3195

3276

Ship wreck

NO

9.04

UtsiraKB

P165

3196

3361

Funiculina garden

YES

1.04

UtsiraKB

P111

3197

3277

HB sponge garden

YES

1.04

UtsiraKB

P108

3198

3278

Sponges

YES

1.04

UtsiraKB

P99

3199

3279

Funiculina garden

YES

9.04

UtsiraKB

P166

3281

3360

Fuiculina, virgulariidae field

YES

9.04

UtsiraKB

P67

3200

3359

Funiculina

YES

2.04

NJS1

P548

3201

3280

Sand waves, Astropecten, Asterias

NO

2.04

NJS1

P569

3203

3281

Modiolus eg. 60%, lithothamnion

YES

2.04

NJS1

P570

3204

3282

Asterias, sand ripples

NO

2.04

NJS1

P588

3205

3283

Gravel waves, Hysa, Pleuronectiformes

NO

2.04

NJS1

P564

3206

3284

Paguridae

NO

3.04

NJS1

P580

3207

3285

Buccinidae

NO

3.04

NJS1

P547

3208

3286

Pleuronectiformes,Asteriidae

NO

3.04

NJS1

P566

3209

3287

Pleuronectiformes, Buccinidae, Asteroidea

NO

3.04

NJS1

P587

3210

3288

Alcyonium digitatum, Modiolus e.g 10%

NO

3.04

NJS1

P546

3211

3289

Astropecten, Buccinoidea

NO

3.04

NJS1

P579

3212

3290

Astropecten

NO

3.04

NJS1

P563

3213

3291

Sand ripples, Astropecten, Asterias

NO

3.04

NJS1

P577B/ by GC5

3214

3292

Astropecten

NO

3.04

NJS1

P584

3215

3293

Mosaic, reteporella, bolocera, sea pens, diverse

YES

3.04

NJS1

P577A/ by P584

3216

3294

Virgulariidae

YES

3.04

NJS1

P562

3217

3295

Tobis (ammodytes)

NO

3.04

NJS1

P575A/ NW

3218

3296

Spatangus

NO

3.04

NJS1

P589

3219

3297

Epizoanthus

NO

3.04

NJS1

P576

3220

3298

Hippasteria

NO

4.04

NJS1

P551

3221

3299

Bolocera

NO

5.04

NJS1

P582

3222

33003307

Wreck

NO

6.04

NJS1

P543

3224

3323

Parastichopus

NO

4.04

NJS1

Extra 1

3225

3301

Virgulariidae garden, bolocera among rocks, filograna

YES

4.04

NJS1

P560

3226

3302

Astropecten

NO

4.04

NJS1

P552

3227

3303

Astropecten

NO

6.04

NJS1

P550

3228

3304

Sand, low diversity

NO

6.04

NJS1

P578

3229

3305

Alcyonium, asteroids, filograna

NO

6.04

NJS1

P586

3230

3306

Astropecten

NO

6.04

NJS1

P561

3231

3308

Virgulariidae, bolocera

YES

6.04

NJS1

P575B/ SE

3232

3309

Maxmuelleria faex

NO

6.04

NJS1

P568

3233

3310

Spatangus virgulariidae

NO

6.04

NJS1

P581

3234

3311

Gracilechinus

NO

6.04

NJS1

P549

3235

3312

Spatangus

NO

6.04

NJS1

P573

3236

3313

Sand then rocks and bolocera

NO

6.04

NJS1

P571

3237

3314

Cerianthidae, Luidia sarsi

NO

6.04

NJS1

P553

3238

3315

Spatangus, virgulariidae

YES

6.04

NJS1

P572

3239

3316

Luidia sarsi, sand waves

NO

6.04

NJS1

P574

3240

3317

Gracilechinus

NO

6.04

NJS1

P557

3241

3318

Spatangus, gracilechinus

NO

6.04

NJS1

P558

3242

3319

Virgulariidae sea pen garden

YES

6.04

NJS1

P559

3243

3320

Caridea, bolocera

NO

6.04

NJS1

P554

3244

3321

Gracilechinus

NO

6.04

NJS1

P545

3245

3322

Gracilechinus

NO

6.04

NJS1

P544

3246

3324

Parastichopus

NO

7.04

NJS1

P590

3247

3325

Parastichopus

NO

7.04

NJS1

P567

3248

3326

Spatangus, hyse

NO

7.04

NSJ2

P555

3249

3327

Alcyonium

NO

7.04

NSJ2

P556

3250

3328

Spatangus, astropecten

NO

7.04

NSJ2

P542

3251

3329

Gracilechinus, astropecten

NO

7.04

NSJ2

P583

3252

3330

Astropecten, lost container

NO

7.04

NSJ2

P565

3253

3331

Leptasterias

NO

7.04

NSJ2

P585

3254

3332

Echinus, Alcyonium

NO

8.04

UtsiraKB

P118

3255

3333

HB sponge garden

YES

8.04

UtsiraKB

P128

3256

3334

Isidella, bonellia

YES

8.04

UtsiraKB

P41

3257

3335

Oceanapia garden

NO

8.04

UtsiraKB

P158

3258

3336

Gravel, Wreck (U-boat?)

NO

8.04

UtsiraKB

P115

3259

3337

megawaves and ripples

NO

8.04

UtsiraKB

P159

3260

3338

Axinellidae, porifera dense branched

YES

8.04

UtsiraKB

P50

3261

3339

Munida, patches o HB sponge garden

YES

8.04

UtsiraKB

P53

3262

3340

Sand occasional parastichopus

NO

8.04

UtsiraKB

P44

3263

3341

Muddy sand, flat, parastichopus, Phakellia

NO

8.04

UtsiraKB

P119

3264

3342

Oceanapia sponge ground

NO

8.04

UtsiraKB

P48

3265

3343

Oceanapia, Etmopterus spinax

NO

8.04

UtsiraKB

P116

3266

3344

Bonellidae & HB sponge garden

YES

8.04

UtsiraKB

P133

3267

3345

HB sponge garden

YES

8.04

UtsiraKB

P117

3268

3346

Bonellidae, HB sponge garden

YES

8.04

UtsiraKB

P129

3269

3347

HB sponge garden

YES

8.04

UtsiraKB

P127

3270

3348

Oceanapia

NO

9.04

UtsiraKB

P45

3271

3349

Oceanapia, decapoda

NO

9.04

UtsiraKB

P131

3272

3350

Quasillina

NO

9.04

UtsiraKB

P120

3273

3351

HB sponges, crabs, porania

YES

9.04

UtsiraKB

P54

3274

3352

Parastichopus

NO

9.04

UtsiraKB

P126

3275

3353

sponge garden inc stryphnus, geodia

YES

9.04

UtsiraKB

P122

3276

3354

Edge of a HB sponge garden whole way

YES

9.04

UtsiraKB

P63

3277

3355

Nephrops, sparse funiculina

NO

9.04

UtsiraKB

P47

3278

3356

Oceanapia & Nephrops, patch HB sponge garden

YES

9.04

UtsiraKB

P125

3279

3357

HB sponge garden & munida on soft

YES

9.04

UtsiraKB

P160

3280

3358

Bolocera

NO

9.04

UtsiraKB

P46

3282

3362

Sea pen garden, parastichopus

YES

9.04

UtsiraKB

P43

3283

3363

Antho dichotoma

YES

9.04

UtsiraKB

P164

3284

3364

"OXLEY" submarine wreck

NO

9.04

UtsiraKB

P123

3285

3365

Ostur

YES

10.04

UtsiraKB

P52

3286

3366

Funiculina garden

YES

10.04

UtsiraKB

P163

3287

3367

HB coral garden

YES

10.04

Fognafjorden

FJ14

3288

3368

Funiculina, cerianthidae, net

YES

10.04

Fognafjorden

FJ15

3289

3369

Cerianthidae

NO

10.04

Fognafjorden

FJ16

3290

3370

Cerianthidae, net, sharks

NO

11.04

UtsiraKB

P130

3291

3371

Hard bottom sponge ground

YES

11.04

UtsiraKB

P161

3292

3372

Sparse sea pens, nephrops, neohela

YES

11.04

UtsiraKB

P162

3293

3373

Hard bottom sponge ground/ coral garden

YES

11.04

UtsiraKB

P49

3294

3374

Mixed sea pen garden, HB sponge garden patch

YES

11.04

UtsiraKB

P171

3295

3375

Wooden wreck covered in Primnoa

MAYBE

11.04

UtsiraKB

P106

3296

3376

Nephrops, patches of HB sponges

NO

11.04

UtsiraKB

P176

3297

3377

50% wreck, some sea pens, nephrops

MAYBE

11.04

UtsiraKB

P132

3298

3378

HB/ ostur sponge garden

YES

11.04

UtsiraKB

P121

3299

3379

HB/ ostur sponge garden

YES

11.04

UtsiraKB

P51

3300

3380

Sea pen field patchy

MAYBE

11.04

UtsiraKB

P110

3301

3381

HB/ ostur sponge garden

YES

 

Table 3 - Full Stations (in order of R station per area)

DateEnded

Area

Pno

Rno

Vlno

ctdIDno

BoxCIDno

MultiCIDno

GrabIDNo

Comment

30.03

UtsiraKB

P42

3188

3269

 

2

3

 

 

31.03

UtsiraKB

P172

3190

3271

 

 

 

 

 

9.04

UtsiraKB

P165

3196

3361

 

3

6

 

Samples on 01.04, VL on 09.04

9.04

UtsiraKB

P67

3200

3359

 

4

7

 

Samples on 02.04, VL on 09.04

8.04

UtsiraKB

P53

3262

3340

 

 

 

 

 

2.04

NSJ1

 

P548

3201

3280

254

 

 

 

 

3.04

NJS1

P547

3208

3286

 

5

 

10-15

Grabs and boxcorer on 04.04

6.04

NJS1

P543

3224

3323

 

6-7

8

16-21

Took video on 06.04

 

Table 4 - Petroleum Directorate gravity corer investigation sites, note that none were deemed suitable for gravity coring and therefore no gravity cores were taken on this cruise

Date Ended

Area

Pno

Rno

Topaz

Watercolumn MBE

Grab IDNo

Comment

2.04

Sørlige Nordsjø II

GC1

3202

YES

YES

8

Retained as possible future Mareano R station

2.04

Sørlige Nordsjø II

GC2

 

YES

YES

 

 

2.04

Sørlige Nordsjø II

GC3

 

YES

YES

 

 

2.04

Sørlige Nordsjø II

GC4

 

YES

YES

 

 

3.04

NJS1

GC5

 

No

No

 

AUV Mission_55_20230403_1 has MBE/HiSAS/photo data here

4.04

NJS1

GC5B

3223

YES

YES

9

AUV Mission_55_20230404_1 has data  here

 

Table 5 - AUV mission and associated CTD sites. Note that additional information is available about AUV dives in Appendix 2

Date Ended

Area

Pno

VLno overlaps

ctdIDno

AUV missionNo

Comment

1.04

UtsiraKB

AUV_2023_Utsira_1a

VL3216, VL3217

253

Mission_55_ 20230401_6

ctd ON 31.03, auv 01.04, 1.5hrs data on 5.5hrs dive - 30m offset, low ping rate, blurry photos

3.04

NJS1

AUV_2023_NSJ_2a

VL3284, VL3282

254 (at R3201)

Mission_55_ 20230403_1

full dataset quality good, MBE pingrate too slow

4.04

NJS1

AUV_2023_NSJ_3c

VL3306, VL3303

255 (at R3211),
256

Mission_55_ 20230404_6

full dataset quality good, MBE pingrate still too slow despite attempted change

4.04

NJS1

AUV_2023_NSJ_4a

VL3294, VL3293, VL3302, VL3304

257 (at R3225),
258 (at R3228)

Mission_55_ 20230405_3

full dataset quality good, MBE pingrate still too slow (but good on internal trigger)

10.04

Stavanger Fjords

AUV_stav_PlanA

n/a

259

n/a

too much fishing gear in the water, dive cancelled

10.04

Stavanger Fjords

AUV_stav_PlanB

VL3370

260

Mission_55_ 20230410_2

successful until last

7 - Issues

Chimera:

  • Had one incident that I will take some blame for as the Chimera bumped into a wreck that I failed to flag as possibly present in advance of the dive: damage to the wire which needs reterminating, with Sindre swapping to the yellow cable as a temporary fix for the rest of the cruise. I will suggest that we build a better routine for dealing with possible wrecks – including having images of the multibeam at that spot that at least can guide where the wreck may occur in relation to distance along the video line. This procedure was adopted afterwards for all subsequent possible wrecks. Encountering wrecks is not normal for Mareano, which is used to working in the Norwegian Sea and Barents Sea, with new operations in the North Sea these encounters are likely to increase, so this is a good time to build procedures.

  • Many faults from earth faults to pan and tilt issues to black outs. Sindre has worked very hard to keep the Chimera going and it worked out fine in the end but it is a good idea to ensure we have Chimera instrument cover for 24hrs even on AUV cruises in the future.

  • We have had a request from the winch operators to upgrade the pilot cameras into a good quality forward facing camera and another downward facing camera to better monitor distance from bottom/objects passing underneath (e.g. wrecks). The existing pilot camera could be moved into the downward facing position requiring only the purchase of the better quality forward facing camera. Both should have a wide field of view.

AUV:

  • The buoyancy is very hard to get right but once you do there is a good chance it will dive as planned. Any time the Munin+ fails to dive is most likely a need to fine tune the buoyancy. This is a design fault of the Munin+ which is particularly unhelpful when coupled with the 5min dive rule and restart procedure (see below). Leif is now setting up a buoyancy guide that responds to the density recorded by the CTD they need for the SVP input before the first dive in an area – this should help speed up the process of optimising the buoyancy but will not guarantee it dives on first try.

  • If the vehicle does not dive in the first 5mins of trying it will automatically cancel the mission and not try again. As a result you must remove the vehicle from the water and restart the process ( takes ~1hr).

  • Restarts are very commonly needed, both from buoyancy issues, but also from minor faults/frequent error messages that require a restart to clear. Each time it takes ~1hr to be ready to dive again (multiple steps must be gone through and then the positional accuracy of the GPS needs to drop below 0.1 which takes the majority of the time - NB driving the ship in figures of eight can speed the GPS calibration up.)

  • There seems to have been a connection problem between the vehicle computer (CP) and the NAS bottle (PP) which sometimes results in the vehicle stopping collecting data half way through a dive - this is not acceptable and must be fixed (I believe Leif and Jan Arne are chasing Kongsberg to look into this already)

  • There were some issues noted with the MBE data from the AUV and problems with positioning – where overlapping lines in opposite directions have a mismatch in positioning and depth e.g. lines 6 or 7mins long, about 25mins apart with 180 degree turns between crossing the same point and showing 1m drift in position and 10cm drift in depth. This has already been relayed to Kongsberg. More details can be found in Appendix 3.

  • It would be beneficial to do more testing with the AUV (not using project money!) to see what equipment and settings cause interference in the data (for example, we have had inconsistent results about using the internal trigger for the MBE - sometimes no sign of noise in the HiSAS, sometimes clear noise, so uncertain if there is something else causing the noise). Investigations could be made into turning on and off the topaz, fish echosounders etc from the ship while the AUV is in the water to monitor the effects (especially if there are distinctive patterns suggesting one particular piece of equipment is interfering). This would be useful to ensure appropriate routines are set up for switching things off/selecting appropriate settings when working in the same area as the AUV.

  • Generally, a great improvement on Mareano’s initial testing cruise in June 2022 (2022106), and huge thanks to the AUV team (Leif Johan, Eyvind, Lene, Kyrre) who worked very hard to minimise these issues – it is clear that there are many limitations to the vehicle that they cannot work around and we all just have to wait for!

Appendix 1 - Day by Day Overview

30.03.2023 12.00 – 31.03. 2023 10.00 Bergen, Utsira

  • all boarded ok by 12.00, security round at 13.00, ship leaving at 14.00 with waving committee, science meeting at 14.30

  • smooth sailing south to Utsira (wind too strong at NSJ-1/2), aimed for P114 but amended to P42 as chimera was not ready to go upon arrival.

  • P42: R3188 took Boxcorer 2, Multicorer 5

  • P42 Chimera video rig test – all ok

  • P42: R3188 VL3269 video line

  • P114: R3189 VL 3270 video line

  • Attempt P51 video line but Chimera has an earthing fault – wake Sindre to check, he stays up for 1hr, but cannot fix quickly.

  • Start transit to AUV station (right beside previous R31357VL3217, outside of 12nm border) for arrival at 08.00 & AUV shift

  • Meeting with captain & AUV team to go over protocol

  • AUV in the water for buoyancy testing – all ok

  • Some fails reported on AUV when on deck – need a little time for checks

  • No issues seasickness reported

 

Photo of the seabed showing 5 or six sea pens stading out of a sediment floor, one has an anemone on top of it
Figure 6 Funiculina quadrangularis garden with predatory actiniarian Ptychodactis patula R3188 VL3269

 

31.03.2023 10.00 – 01.04.2023 08.00 Utsira

  • AUV GPS calibrated and CTD (#253) taken - NOTE AUV and CTD linked to AUV have been logged with R stations – this is not appropriate, but toktlogger is limited in how it can cope with this (needs a number >0 for the superstation) As a result Kjell says that he will correct them afterwards, but we must remember to reuse that R number at the next station.

  • AUV going in the water kl. 12.00 (4hrs set up) for AUV

  • Several attempts – AUV will not dive (buoyancy too light, adjustments between)

  • New shorter dive plan made (1.5hrs)

  • Attempt to dive kl. 15.15 – lost radio contact while at the surface, automatic wait time of 15mins, should dive at end of wait period 15.30, no success

  • AUV removed from water ~16.00 with AUV testing finished for the day (so that they can consult Kongsberg)

  • Started transiting to full station P172 as chimera was still not working, but managed to have it ready for testing again by the time of arrival (~17.00) resulting in a successful VL: R3190 VL3271

  • Then able to proceed with a series of video stations into the evening: P173 R3191 VL3272, P95 R3192 VL3273, P174 R3193 VL3274, P124 R3194 VL3275,

  • P181 R3195 VL3276 I failed to warn of the shipwreck (although this was marked on the map), VL started and they spotted debris and slowed until debris stopped and they sped up again with the Chimera bumping into the wreck.

  • Chimera cable and a couple of connections damaged. Sindre working to re-terminate with the yellow cable.

  • Transited to full station P165 R3196 and took boxcore (for Stepan) and multicore before departing to head for the AUV site for arrival at 09.00.

  • Kongsberg did not give a good explanation for the issues yesterday (suggested some possible causes that the team disagree with), but AUV restart looks good.

 

Photo of boulders cobbles and stones on the sea floor with many upright fan shaped sponges attached to them
Figure 7 Hard bottom sponge garden at R3193 VL3274

 

01.04.2023 08.00 – 02.04.2023 08.00 Utsira, transit to NSJ-1

  • AUV went in the water but again would not dive beneath the surface. Recovered to deck to adjust weight in nose, but encountered new issues with communications, and then the rope release system on the stinger.

  • Chimera fixing and deck testing completed, then wet test at the AUV station down to 30m - all seems fixed and ready to use.

  • AUV_2023_utsira_1a (Dive 1, Missions_55_20230401_6) successful dive, pinged with ship then left to do video station.

  • AUV sent satellite message that should only happen if at surface but time attached was 2hrs earlier – returned to check on it (30min diversion), but was fine and still on bottom so left to go to video station again.

  • Went to P111 R3197 VL3277, successful video dive with hard bottom sponge garden

  • Return to pick up AUV – some error messages reported upon arrival – data only collected in first 1.5hrs of 5hr dive, photos taken after all other sensors switched off – all blurry. Hoping focus is linked to lack of altimetry input. Sending reports to Kongsberg for explanation.

  • Transit to evening video stations: P108 R3198 VL3277, P99 R3199 VL3279 –had issues with pan and tilt wandering or freezing at both stations.

  • P166 ran topaz but Chimera now not functioning at all ~kl.01:00

  • P67 R3200 took Boxcorer 4 and Multicorer 7

  • ~Kl. 02:30 begin transit to NSJ-1 (13hrs).

 

A close up photo of a cream coloured lamellate sponge lying like a taco with a red shrimp with blue eyes sitting in the middle of it
Figure 8 A pandalid shrimp sitting on an Axinellid sponge on R3197 VL3277

 

02.04.2023 kl.08.00 – 03.04.2023 kl.08.00 Transit from Utsira, NSJ-1

  • Chimera reported as working again at kl. 12.45

  • Arrive 13.00 at NSJ-1 P548 to launch AUV (needed to take CTD (#254) then drive in figure of 8 to improve AUV navigational accuracy) but AUV had a communications issue kl.14.00 before launch.

  • Take Video R3201 VL3280 while AUV restarting (needs ~1hr to reset)

  • Try again to launch AUV – would not dive and too late to try again today

  • Collect AUV then proceed to GC1 (1hr away)

  • Drive from G1 to G2, then GC3, then GC4 with topaz on

  • Drive from GC4 to GC3, then GC2, then GC1 with watercolumn MBE on

  • Take grab at GC1 to check suitability for gravity core (gave R station as may return next year)– no good, and rest of points were ruled out too (needs vibrocorer as is too sandy)

  • Head over to do videos overnight: P569 R3203 VL3281, P570 R3204 VL3282, P588 R3205 VL3283, P564 R3206 VL3284, P580 R3207 VL3285, P547 R3208 VL3286, P566 R3209 VL3287, P587 R3210 VL3288

 

An overview photo showing boulders with purble lithothamnion patches, white and yellow dead mans fingers, and betwen all boulders are hundreds of modolus mussels sitting with their siphons
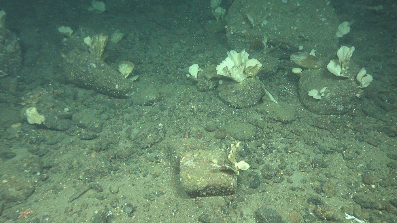
Figure 9 A Modiolus modiolus bed as seen on R3203 VL3281

 

03.04.2023 kl. 08.00 – 04.04.2023 NSJ-1 kl.08.00 NSJ-1

  • Transit to AUV station near P546 arriving ~kl.09.00

  • Deploy AUV which dives first time, receive some errors likely relating to difficulties with acoustic contact in shallow (57m) water, but occasional updates in the first 10mins were enough to reassure.

  • Do videos while AUV is in the water: P546 R3211 VL3289, P579 R3212 VL3290, P563 R3213 VL3291, P577/GC5 R3214 VL3292 (NB P577 we agreed to move but had enough time for one more before AUV pick up and not enough time to go somewhere else)

  • Pick up AUV kl. 15.30 (near P570/R3204) – required MOB boat as AUV had not “popped its nose” (which releases the recovery rope)

  • AUV dive was successful and collected 1.2TB in 5.5hrs (Dive 2, AUV_2023_NSJ_2a, Missions_55_20230403_1).

  • Transit for 1.5hrs to first video stations for the night: P584 R3215 VL3293, P577 (the one near the noise point/ P584) R3216 VL3294, P562 R3217 VL3295, P575A/NW R3218 VL3296, P589 R3219 VL3297, P576 R3220 VL3298, P551 R3221 VL3299

  • Continued to P582 R3222 VL3300 (a wreck site) and recorded still section of VL but the tilt broke on Chimera and was stuck pointing straight down (stayed for 2hrs to try to fix – the nearest full station was 2hrs away and it would be 2hrs back to the AUV site which we needed to be at within 4hrs).

  • Left without having Chimera fixed and headed to the AUV site for arrival kl.08.00

 

A map showing a colourful area of multibeam bathymetry that highlights some interesting bedforms on the seafloor between 50 and 47m deep.
Figure 10 Image of multibeam bathymetry collected by AUV Missions_55_20230403_1 over a 1m high bedforms

 

04.04.2023 kl. 08.00 – 05.04.2023 NSJ-1 kl.08.00 NSJ-1

  • CTD (#256) taken 

  • AUV required restart (1hr delay) so transited to GC5B and drove Multibeam watercolumn line over GC5B and GC5A then back again with topaz – looks hard and not suitable for a gravity corer.

  • Returned to AUV launch location and tried to launch again – AUV failed to dive again, so needed 1hr for restart. Chimera still not operational and no physical samples needed in immediate area (nearest is 1hr drive away). Stayed in position to await AUV restart/ Chimera to be fixed.

  • Launched AUV again, again failed to dive, so moved to GC5B during 1hr restart for a Grab (R3223 Grab9) – Chemistry, Geology, UiB rest sample.

  • Flipped AUV dive to start from same location: removed nearly all air from AUV and successfully dived down so was left to continue mission

  • Transit to P547 (R3208) for 5x grab samples (grab was on the wire so we took that first includes 1 failed #10-15), 1x boxcorer (#5)

  • Transit to pick up AUV – successful dive (AUV_2023_NSJ_3c, Missison_55_20230404_6)

  • Chimera still out of service so transit to full station 3hours away P543 (R3224) and take boxcorer for chemistry (#6-7), multicorer (#8), grab x 5 (#16-21).

  • Sindre worked on Chimera all night – no activity during this time

  • Decided to move to the AUV launch position

 

A photo with an oblique view through the hanger as 3 people look on with helmets on, the grab hangs from the winch wire while blue skies and calm seas can be seen outside.
Figure 11 Launching the grab as seen from the back of the hanger

 

05.04.2023 kl. 08.00 – 06.04.2023 NSJ-1 kl.08.00 NSJ-1

  • Chimera ready for testing 1hr before the AUV, so designed an “extra” station alongside AUV launch site (~500m away) to test Chimera in the water over a useful target - success: R3225 VL3301

  • Took CTD (#257) at same site for AUV benefit – only 500m from AUV launch site

  • At AUV launch site, AUV needed 2 restarts on deck, dropped one more weight into the water (unpredictably) while one end is hanging over the side to get GPS signal – ship drove in figure of eight to improve GPS accuracy asap.

  • Launched AUV which dove first attempt – permitted to leave by AUV team.

  • Took one video: P560, R3226 VL3302 – NB due to (my) planning error we were at this site with the Chimera at the same time as the AUV (close call!), although the AUV was on the HiSAS line 70m away from the Chimera. I was warned by the AUV team 15mins in advance, but was given permission by them to continue after dive plan inspection showed it would be >50m away doing HiSAS coverage of the video line. They appreciated the HiPAP signal contact, but I will make efforts to avoid this happening again (!). Therefore we may see the Chimera on the HiSAS at this site.

  • Jossan started a påskekrim game onboard: pull a name from a pot (all ships crew included) – that person you have to “kill” by being alone with them in a room when they are not doing a work task/at their normal work station, you then collect their target name(s) and are told who is next to “kill”. Winner announced on Saturday (person with the most names) – good way to build morale and get to know the crew.

  • Had list of several more videos to achieve while AUV was in the water but before starting recording at the second site (P552), the chimera had an earthing fault (jordfeil) before start rec. and was brought back on deck (kl.13.30)

  • Ship electricians and instrument worked to fix it and succeeded but not before we had to leave the site

  • Moved to P550 to take a CTD (#258) for AUV MBES corrections (located at the far end of the AUV dive)

  • Returned to the AUV start position for AUV pick up kl. 16.15 – successful pick up Mission_55_20230405_3

  • Transit back to P550 to start video lines for rest of the night: P550 R3228 VL3304, P578 R3229 VL3305, P552 (where jordfeil happened earlier, reused numbers as no rec taken) R3227 VL3303, P586 R3230 VL3306, P582 R3222 VL3307 (wreck site were previous chimera feil had occurred – second VL at that site, previous was only still section), P561 R3231 VL3308, P575B R3232 VL3309, P568 R3233 VL3310, P581 R3234 VL3311, P549 R3235 VL3312

 

A photo of four people looking at a computer screen which is showing HiSAS bathymetry being mapped in a GIS
Figure 12 Inspecting HiSAS data from an earlier dive (clockwise from back: Tor Jan Meek, Terje Thorsnes, Kyrre Heldal Kartveit, and Shyam Chand)

 

06.04.2023 kl. 08.00 – 07.04.2023 NSJ-1 kl.08.00 NSJ-1, NSJ-2

  • Windier today – no AUV dive as a result

  • Continue video lines all day finishing NSJ1 ~02.00: P573 R3236 VL3313, P571 R3237 VL3314, P553 R3238 VL3315, P572 R3239 VL3316, P574 R3240 VL3317, P557 R3241 VL3318, P558 R3242 VL3319, P559 R3243 VL3320, P554 R3244 VL3321, P545 R3245 VL3322, P543 R3246 VL3323, P544 R3247 VL3324, P590 R3248 VL3325.

  • Transit to NSJ2 and continue with video lines: P567 R3249 VL3326, P555 R3250 VL3327, P556 R3251 VL3328, P542 R3252 VL3329

 

A photo of a rocky seafloor with multiple large anemones (some pink some dark red) and a couple of sea stars
Figure 13 Two colours of Bolocera anemones on a rocky sea floor at R3236 VL3313

 

07.04.2023 kl. 08.00 – 08.04.2023 NSJ-1 kl.08.00 NSJ-2, Utsira

  • Continue video lines, finishing NSJ2 kl.~15.00: P583 R3252 VL3330, P565 R3253 VL3331, P585 R3254 VL3332

  • Weather still too rough to make detour for AUV at Modiolus bed, so begin transit to Utsira (arrival kl.01.00)

  • Begin video stations – includes some sponge gardens (hard bottom Axinellid/ Oceanapia), an Isidella bed, and one unexpected shipwreck (possible U-boat): P118 R3255 VL3333, P128 R3256 VL3334, P41 R3257 VL3335, P158 R3258 VL3336 (wreck).

  • One station skipped as a large tanker ship was sitting on the spot (targeted station P157)

 

Photo of people with their backs to the camera in a dark room with all looking at a tv where there is live imagery of the shipwreck.
Figure 14 The team in the video room logging a video line crossing a wreck

 

08.04.2023 kl. 08.00 – 09.04.2023 NSJ-1 kl.08.00 Utsira

  • continue with video stations: P115 R3259 VL3337, P159 R3260 VL3338, P50 R3261 VL3339

  • participate in practice with search and rescue helicopter for 20mins.

  • back to video stations (many hard bottom sponge grounds and Oceanapia gardens): P53 R3262 VL3340, P44 R3263 VL3341, P119 R3264 VL3342, P48 R3265 VL3343, P116 R3266 VL3344, P133 R3267 VL3345, P117 R3268 VL3346, P129 R3269 VL3347, P127 R3270 VL3348, P45 R3271 VL3349, P131 R3272 VL3350, P120 R3273 VL3351, P54 R3274 VL3352, P126 R3275 VL3353

  • (Markus from the crew won the påskekrim game, with 20 kills!)

 

Photo of people out on an upper deck of the ship with their backs to the camera as they watch the search and rescue helicoper hover over the rear deck ready to do som practices for 20mins
Figure 15 Quick 20min break to help Search and Rescue do a helicopter rescue practice

 

09.04.2023 kl. 08.00 – 10.04.2023 NSJ-1 kl.08.00 Utsira

  • continue video lines throughout the day, doing a circle outside of Stavanger fjords knowing that we will have to go in around 04.00 (the weather is worsening and the bridge wants 4hrs to drive to the declassified AUV site): P126 R3275 VL3353, P122 R3276 VL3354, P63 R3277 VL3355, P47 R3278 VL3356, P125 R3279 VL3357, P160 R3280 VL3358, P67 R3200 VL3359, P166 R3281 VL3360, P165 R3196 VL3361, P46 R3282 VL3362, P43 R3283 VL3363, P164 R3284 VL3364, P123 R3285 VL3365, P52 R3286 VL3366, P163 R3287 VL3367

  • Planned 13 possible video lines in the fjords near AUV areas as plans for when AUV is in the water/ during AUV restarts

  • drive in towards the Plan A AUV area for arrival by 08.00

 

A photograph of a muddy seafloor with a dirty looking white and yellow irregular shaped sponge in the foregound while a whispy white sea pen and the hint of some sea cucumbers can be seen in the background
Figure 16 A Stryphnus sponge covered in a yellow Hexadella sponge and associated epifauna, while sea pens and sea cucumbers sit in the background R3284 VL3364

 

10.04.2023 kl. 08.00 – 11.04.2023 NSJ-1 kl.08.00 Horgefjorden, Fognafjorden

  • Took CTD (#259) by AUV Plan A area (Horgefjorden) while adjusting AUV buoyancy in the water

  • Instructed to take a video line while doing and AUV restart, however whilst manoeuvring into position several floats marking fishing gear were spotted in the area – decided this was both dangerous for the Chimera and for the AUV as there is no information on extent or type of fishing and adjustments to the dive would be difficult/considerable and result in a much more unproductive dive given the positioning of the fishing floats: moved to Plan B area (Fognafjorden)

  • Took CTD (#260) to check for differences relating to the Plan A area

  • Launch AUV at Plan B area, successfully dove below the surface with a couple of seconds to spare, likely assisted by the wake of a passing hurtigbåt.

  • Aimed to do two planned VLs in the NE of the Plan B area, but fund a fishing gear float between them so had to replan

  • Planned 2 more VL in the middle of the AUV area (top of hill, AUV working around the bottom (FJ14, FJ15)

  • Did Chimera VL FJ14 R3288 VL3368 included stop to pass lost fishing gear

  • Picked up AUV: Mission_55_20230410_2

  • Did second planned Chimera VL while waiting for improvements in weather FJ15 R3289 VL3369

  • Planned and did a third Chimera VL while waiting FJ16 R3290 VL3370 – this one is 350m long to give the same line as the photo lines from the AUV for comparison. It is split into ab (normal Mareano sample ~225m) and c (the remainder) recordings. Again pause due to lost fishing gear.

  • Lene reported the lost fishing gear that we encountered on FJ14 and FJ16 (later examination of the AUV data shows this is one net spanning 450m in length)

  • Decided at dinner to stop adding extra video lines and now await a weather window – plan for possible departure at 20.00 but delayed until kl. 00.00

  • Transit to P130 to resume Mareano stations en route back towards Bergen starting kl.04.00 when conditions were finally good enough: P130 R3291 VL3371, P161 R3292 VL3372, P162 R3293 VL3373

11.04.2023 kl. 08.00 – 12.04.2023 NSJ-1 kl.12.00 Utsira, Bergen

  • Began packing away sampling equipment through the day

  • Continue with the final video lines throughout the day, ending at around 23.00: P49 R3294 VL3374, P171 R3295 VL3375, P106 R3296 VL3376, P176 R3297 VL3377, P132 R3298 VL3378, P121 R3299 VL3379, P51 R3300 VL3380, P110 R3301 VL3381.

  • Begin transit to Bergen arriving ~06.00

  • Demobilisation until ~15.00

 

 

Appendix 2 - AUV Dive Plans

Here are the dive plans for any AUV missions that collected data - not all were completed according to plan, but these are the plans that the AUV was asked to complete (sometimes internal errors resulted in data stopping being collected after e.g. a couple of hours but the AUV still followed the full route and reappeared where it was expected to).

Naming of Dives

Auv dives are assigned a name in the format:

Mission_<vehicle number>_<date: yyyymmdd>_<dive/restart number that day>

These are the completed dives from this cruise together with their planning name. The planning names generally used a format:

<Dive number when transferred to AUV computer for checks> <Area>_SubAreaNumber><letter denoting new iterations of that dive plan>

  Mission Name Planning Name Area
1 Mission_55_20230401_6 Dive 1 Utsira_1a Utsira
2 Mission_55_20230403_1 Dive 3 NSJ1_2a NSJ-1
3 Mission_55_20230404_1 Dive 4 NSJ1_3c NSJ-1
4 Mission_55_20230405_3 Dive 6 NSJ1_4a NSJ-1
5 Mission_55_20230410_2 Dive8Alt Stav_b Fognafjorden

Maps of AUV dive locations

The following overview maps show where the AUV dives took place. Dive plans follow in the next section and use both the mission number name (which is indicated in these maps) and the planning name for better orientation.

Map zoomed into the centre of the Utsira KB and Utsira Nord areas with Utsira island shown on the left of the image and the AUV mission, indicated by both MBE data and a label, shown in the area outside of the 12nm boundary but overlapping into the Utsira Nord licene area on the right of the image.
Figure 17 Location of 1st AUV dive (Mission_55_20230401_6) in Utsira area (enters Utsira North Havvind area and outside to the west. The whole dive is outside of 12nm to avoid classification of the seabed issues (FOH did not grant our applications to operate within 12nm in time).

 

 

Image of a map showing the NSJ-1 and NSJ-2 areas and the locations of the 3 AUV missions in NSJ-1 (each indicated by the MBE data and a label). The first is in the SW of NSJ-1, while the secod and 3rd overlap the SVO border in the middle of NSJ-1. The second zig zagging acoss it, and the 3rd is more linear.
Figure 18 The locations of the 2nd, 3rd, and 4th AUV dives (Mission_55_20230403_1, Mission_55_20230404_1, Mission_55_20230405_3) in the NSJ-1 area

 

 

Image shows a map of the Fognafjorden area with the AUV mision indicated by both its MBE data footprint and a label. The MBE data shows a complex shape that ranges around some underwater hill features that were too steep to cover fully.
Figure 19 The location of the 5th AUV dive (Mission_55_20230410_2) in Fognafjorden where FOH granted our applicaiton to declssify the seabed and operate within the marked area

 

AUV dive plans from Hugin OS

It is beneficial to have an overview of what the AUV dive plan was, and how the data was labelled, what was tested, etc. This section is included to help try and discern more of what the collected data holds.

In each section there is:

  • An overview image from the Hugin OS view of that dive (possibly with a couple of zooms if it helps),

  • A very brief text of what happened on the dive.

    • This is all acoustic data unless photo data are specifically mentioned.

    • Photolines usually are done at 3 or 4m height and any turns with steep angles must be done at 7m height as the vehicle dips when turning and we want to avoid emergency ascent measures.

    • HiSAS lines along video lines are offset to the side of the video line so that the video line runs through the HiSAS portion of the data (usually planned to be ~70m away from the video line), photo lines will follow the Video Line as preceisely as possible and are not offset from the video line.

  • A copy of the text file that forms the whole of the mission plan that is loaded into Hugin OS. This can be copied to a text file, saved with a .mp file extension, and loaded into Hugin OS in order to explore the dive in more detail.

1.9.3.1 - 1st Dive - Mission_55_20230401_6 (Planning Dive 1 Utsira_1a)

Hugin OS overview

(Planned for) 5hrs 23mins, 38.91 km (have data from roughly the first third of this)

Image shows a screenshot of hugin OS and the dive plan for the First dive (the screen is black with a green line map shown on the left while the right is a panel with many lines of text instructions to the AUV to turn, ascend etc). Two insets have been added to the map to show more detail at either end of an east-west transect where there are more complex patterns present.

Text summary

Dive to bottom, do a pingbox (i.e. a chance for the ship to sit in middle and send a message with updated positioning to the AUV as AUV circles below, staying close to the ship – increases chance of succeeding with message sending).

Drive along VL3216 (acoustic data only at 30m height), transit west stepping down through different heights (30m, 25m, 20m, 15m), drive along VL3217 at 15m height.

(AFTER ROUGHLY THIS POINT, DATA WAS NOT COLLECTED DUE TO A FAULT ON THE VEHICLE DURING THE DIVE)

Do a hiSAS comparison box at different heights over the same piece of seafloor (15m, 20m, 25m, 30m, 35m), do photo collection along VL3217 (west to east at 3m height), do photo transect back from west to east along the full length of dive in the HiSAS data, pass the pingbox doing photos, do a photo patch at 4m height (mow the lawn style) over an iceberg ploughmark feature, pingbox again, before ascent.

HuginOS mission plan

MP13

#

# Kongsberg Maritime AUV Mission Plan

# Saved 2023-04-01 16:23:44 by hugin

#

#:Tag Depth Alt DMo Latitude Longitude Course GMo Speed SMo Dur Dist Flags

#

# Opparbeider fart for å dykke

:start 0.0 20.0 D - - 220.0 H 2.30 S 120 - ETPowerOn

: = = = - - = = = = 1 - EMPowerOn

: = = = - - = = = = 1 - SASPowerOn

: = = = - - = = = = 1 - SASHighPower

: = = = - - = = = = 1 - SASMode1

: = = = - - = = = = 1 -

: = = = - - = = = = 1 - DistTrigger

: = = = - - = = = = 1 - EM400Ext

: = = = - - = = = = 1 - ETOn

: = = = - - = = = = 1 - CxCPowerOn

# Start dykk til 200m for å sjekke at alt er ok

:dykk_1 200.0 = = - - = = = = 180 - EMOn

# Dykke til 200 for å sjekke status

:dykk_2 200.0 = = - - = = 2.00 = 180 -

# Går ned til bunn

:til_bunn 300.0 30.0 T - - = = = = 120 - SASOn

# Lead-in to Survey Pattern

:leadin = 30.0 = 59:12.7899N 004:24.0201E (220) = = = - - Auto

:pingbox = = = 59:12.7118N 004:24.0153E (182) = = = (72) (145)

:pingbox = = = 59:12.7117N 004:24.1918E (090) = = = (84) (168)

:pingbox = = = 59:12.7978N 004:24.1909E (360) = = = (79) (160)

:pingbox = = = 59:12.7564N 004:24.0937E (230) = = = (60) (120)

# VL_coordinates

:leadin = = = 59:12.7470N 004:23.9922E (260) = = = (49) (98)

:vl3216 = = = 59:12.7319N 004:23.7626E (263) = = = (110) (220)

# transit

:trans30 = = = 59:12.7877N 004:21.2457E (272) = = = (1199) (2398)

:trans25 = 25.0 = 59:12.8134N 004:18.4682E (271) = = = (1322) (2645)

:trans20 = 20.0 = 59:12.8541N 004:15.4809E (272) = = = (1422) (2845)

:trans15 = 15.0 = 59:12.8727N 004:12.1311E (271) = = = (1594) (3189)

# Leadin2

:leadin = = = 59:12.9593N 004:12.1960E (021) = = = (86) (172) OutsideTurn

# Videoline2

:vl3217 = = = 59:12.7296N 004:12.3224E (164) = = = (221) (443)

:leadin = = = 59:12.7194N 004:12.2421E (256) = = = (39) (79) OutsideTurn

# HiSAS_comp

:sq_hi15 = = = 59:12.9497N 004:12.1148E (344) = = = (222) (444)

:leadin = = = 59:12.9750N 004:12.2703E (072) = = = (77) (155)

:sq_hi15 = = = 59:12.7390N 004:12.3998E (164) = = = (227) (455)

:leadin = 20.0 = 59:12.7192N 004:12.2421E (256) = = = (77) (155) OutsideTurn

:sq_hi20 = = = 59:12.9501N 004:12.1150E (344) = = = (222) (445)

:leadin = = = 59:12.9749N 004:12.2700E (073) = = = (77) (155)

:sq_hi20 = = = 59:12.7390N 004:12.3994E (164) = = = (227) (455)

:leadin = 25.0 = 59:12.7191N 004:12.2432E (256) = = = (76) (153) OutsideTurn

:sq_hi25 = = = 59:12.9500N 004:12.1150E (344) = = = (222) (446)

:leadin = = = 59:12.9750N 004:12.2700E (073) = = = (77) (155)

:sq_hi25 = = = 59:12.7392N 004:12.3994E (164) = = = (227) (455)

:leadin = 30.0 = 59:12.7201N 004:12.2417E (257) = = = (77) (154) OutsideTurn

:sq_hi30 = = = 59:12.9500N 004:12.1148E (344) = = = (221) (444)

:leadin = = = 59:12.9750N 004:12.2700E (073) = = = (77) (155)

:sq_hi30 = = = 59:12.7389N 004:12.3993E (164) = = = (227) (455)

:leadin = 35.0 = 59:12.7201N 004:12.2417E (257) = = = (77) (154) OutsideTurn

:sq_hi35 = = = 59:12.9500N 004:12.1148E (344) = = = (221) (444)

:leadin = = = 59:12.9750N 004:12.2700E (073) = = = (77) (155)

:sq_hi35 = = = 59:12.7389N 004:12.3993E (164) = = = (227) (455)

# Videotrans

:leadin = 10.0 = 59:12.6449N 004:12.4673E (160) = = = (93) (186) CxCSOn

# Safe distance 2 m

: = = = - - = = = = 1 - SafeDist2

# Critical hight 1 m

: = = = - - = = = = 1 - CritHeight1

:leadin = = = 59:12.6330N 004:12.3945E (160) = = = - - SASOff

:leadin = 3.0 = 59:12.7455N 004:12.3126E (340) = = = (111) (223)

:fotovl = = = 59:12.9459N 004:12.2031E (344) = = = (193) (386)

# transit_foto

:transit = 10.0 = 59:12.9842N 004:12.1797E (343) = = = (37) (75)

:transit = = = 59:12.9556N 004:12.0629E (244) = = = (61) (123)

:transit = = = 59:12.8859N 004:12.0436E (188) = = = (65) (131)

:leadin = 3.0 = 59:12.8343N 004:12.1298E (139) = = = (63) (126)

:fo_trans = = = 59:12.8324N 004:12.4422E (091) = = = (148) (297)

:fo_trans = = = 59:12.8027N 004:13.2573E (094) = = = (388) (778)

:fo_trans = = = 59:12.8652N 004:13.6515E (073) = = = (196) (393)

:fo_trans = = = 59:12.9532N 004:13.9881E (063) = = = (179) (360)

:fo_trans = = = 59:12.7493N 004:15.1527E (109) = = = (585) (1172)

:fo_trans = = = 59:12.8087N 004:15.6497E (077) = = = (242) (486)

:fo_trans = = = 59:12.7761N 004:17.7406E (092) = = = (995) (1991)

:fo_trans = = = 59:12.7450N 004:20.9580E (091) = = = (1531) (3064)

:fo_trans = = = 59:12.7065N 004:23.1450E (092) = = = (1041) (2083)

:fo_trans = = = 59:12.6847N 004:24.1167E (093) = = = (462) (926)

:fo_trans = = = 59:12.6577N 004:24.5306E (097) = = = (198) (397)

:leadinfo = = = 59:12.6310N 004:24.9221E (098) = = = (188) (376)

# Lead-in to Survey Pattern

:leadin = 4.0 = 59:12.6662N 004:24.9816E (041) = = = (43) (86)

:fm_1 = = = 59:12.7812N 004:24.9779E (359) = = = (106) (214)

:turn = 7.0 = 59:12.8175N 004:24.9768E (359) = = = (33) (67)

:turn = = = 59:12.8177N 004:25.0304E (090) = = = (25) (51)

:turn = = = 59:12.7948N 004:25.0307E (180) = = = (21) (43)

:turn = = = 59:12.7943N 004:24.9809E (269) = = = (23) (47) OutsideTurn

:fm_2 = 4.0 = 59:12.6665N 004:24.9859E (179) = = = (118) (237)

:turn = 7.0 = 59:12.6476N 004:24.9862E (180) = = = (17) (35)

:turn = = = 59:12.6478N 004:25.0258E (089) = = = (18) (38)

:turn = = = 59:12.6608N 004:25.0258E (000) = = = (12) (24)

:turn = = = 59:12.6603N 004:24.9900E (268) = = = (17) (34)

:fm_3 = 4.0 = 59:12.7814N 004:24.9861E (359) = = = (112) (225)

:turn = 7.0 = 59:12.8176N 004:24.9871E (001) = = = (33) (67)

:turn = = = 59:12.8176N 004:25.0494E (090) = = = (29) (59)

:turn = = = 59:12.7952N 004:25.0487E (181) = = = (20) (42)

:turn = = = 59:12.7942N 004:24.9901E (268) = = = (27) (56) OutsideTurn

:fm_4 = 4.0 = 59:12.6664N 004:24.9943E (179) = = = (118) (237)

:turn = 7.0 = 59:12.6605N 004:24.9945E (179) = = = (5) (11)

:turn = = = 59:12.6607N 004:25.0333E (089) = = = (18) (37)

:turn = = = 59:12.6485N 004:25.0333E (180) = = = (11) (23)

:turn = = = 59:12.6478N 004:24.9990E (268) = = = (16) (33)

:fm_5 = 4.0 = 59:12.7811N 004:24.9942E (359) = = = (123) (248)

:turn = 7.0 = 59:12.8179N 004:24.9939E (360) = = = (34) (68)

:turn = = = 59:12.8172N 004:25.0629E (091) = = = (32) (66)

:turn = = = 59:12.7954N 004:25.0629E (180) = = = (20) (40)

:turn = = = 59:12.7946N 004:24.9985E (269) = = = (30) (61) OutsideTurn

:fm_6 = 4.0 = 59:12.6664N 004:25.0025E (179) = = = (119) (238)

:turn = 7.0 = 59:12.6606N 004:25.0027E (179) = = = (5) (11)

:turn = = = 59:12.6608N 004:25.0370E (089) = = = (16) (33)

:turn = = = 59:12.6482N 004:25.0371E (180) = = = (11) (23)

:turn = = = 59:12.6478N 004:25.0074E (268) = = = (14) (28)

:fm_7 = 4.0 = 59:12.7813N 004:25.0030E (359) = = = (123) (248)

:turn = 7.0 = 59:12.8176N 004:25.0019E (359) = = = (33) (67)

:turn = = = 59:12.8177N 004:25.0699E (090) = = = (32) (65)

:turn = = = 59:12.7964N 004:25.0712E (178) = = = (19) (40)

:turn = = = 59:12.7946N 004:25.0082E (267) = = = (30) (60) OutsideTurn

:fm_8 = 4.0 = 59:12.6661N 004:25.0108E (179) = = = (119) (239)

: = 20.0 = 59:12.6400N 004:25.0116E (179) = = = (24) (48)

: = = = 59:12.6401N 004:25.0431E (090) = = = (14) (30)

: = = = 59:12.6087N 004:25.0460E (177) = = = (29) (58)

: = = = 59:12.6041N 004:25.1400E (095) = = = (44) (90)

: = = = 59:12.6381N 004:25.1350E (356) = = = (31) (63)

: = = = 59:12.6394N 004:25.0521E (272) = = = (39) (79)

: = = = 59:12.8420N 004:25.1438E (013) = = = (193) (386)

: = = = - - = = = = 1 - Ascent

1.9.3.2 - 2nd Dive - Mission_55_20230403_1 (Planning Dive 3 NSJ-1_2a)

Hugin OS overview

6hrs 26mins, 46.56Km

Image shows a screenshot of hugin OS and the dive plan for the second dive (the screen is black with a green line map shown on the left while the right is a panel with many lines of text instructions to the AUV to turn, ascend etc). Two insets have been added to the map to show more detail at either end of a side ways v shaped transect that starts with a complex patch in the south, transits NE then bends to the NW before starting another complex patch.

Text Summary

Descend, (no pingbox necessary as is shallow area and can detect bottom from launch), head NE at 20m altitude to area of one of the gravity corer proposed sites (GC4, with potential natural oil leakage), do acoustic patch over GC5 point area. Turn and descend to 3m and do 2 photo lines over the acoustic data.

Ascend to 20m altitude and transit to the NE to meat video line (planning ID P564, now VL 3284), do acoustic line over video line. Transit to NW to way point 41.

From waypoint 41 do an acoustic mow the lawn survey pattern patch over an interesting sand feature, first with a HiSAS mow the lawn pattern at 20m height (roughly north south), then with a multibeam mow the lawn pattern at a right angle to the hiSAS pattern (roughly east west) still at 20m height to waypoint 76.

From waypoint 76 the acoustics continue roughly Northwards to cross a sand ripple channel feature, then return parallel down to the NE corner of the survey pattern patch.

Descend to 3m and do photolines across the acoustic patch in a rough triangle (Westwards, SE with a kink, NE to top NE corner of survey pattern patch). Continue photoline roughly north across acoustics that cross the sand ripple channel to waypoint 98.

Return to 15m height and transit Eastwards to northern end of video line (with planned ID P570, now VL 3282) and run HiSAS along video line. Descend to 3m and do photo line over video line (P570, VL3282).

Ascend a little and do pingbox (after a long dive to check drift) before ascending to the surface.

Hugin OS mission plan

MP13

#

# Kongsberg Maritime AUV Mission Plan

# Saved 2023-04-03 12:24:56 by hugin

#

#:Tag Depth Alt DMo Latitude Longitude Course GMo Speed SMo Dur Dist Flags

#

# Opparbeider fart for å dykke

:start 0.0 20.0 D - - 010.0 H 2.30 S 120 - ETPowerOn

: = = = - - = = = = 1 - EMPowerOn

: = = = - - = = = = 1 - SASPowerOn

: = = = - - = = = = 1 - SASHighPower

: = = = - - = = = = 1 - SASMode1

: = = = - - = = = = 1 - DistTrigger

: = = = - - = = = = 1 - EM400Ext

: = = = - - = = = = 1 - ETOn

: = = = - - = = = = 1 - CxCPowerOn

# Start dive to 20 m

:dive 20.0 = D - - 010.0 H = = 180 - EMOn

: = = = - - = = = = 1 -

:dive 20.0 = D - - 010.0 H = = 180 -

:bottom_t 70.0 20.0 T 57:02.4909N 005:20.1150E (010) = 2.00 S 10 - SASOn

:hisvl = = = 57:02.6456N 005:20.2249E (021) = = = (153) (308) Auto

: = = = 57:02.8057N 005:20.6785E (057) = = = (273) (547)

# Lead-in to Survey Pattern

:leadin = = = 57:02.8455N 005:20.7303E (035) = = = (45) (91)

:hisp1 = = = 57:02.9645N 005:20.8774E (034) = = = (133) (266)

: = = = 57:02.9798N 005:20.8355E (304) = = = (25) (51)

:hisp2 = = = 57:02.8608N 005:20.6883E (214) = = = (133) (266)

: = = = 57:02.8761N 005:20.6464E (304) = = = (25) (51)

:hisp3 = = = 57:02.9951N 005:20.7935E (034) = = = (133) (266)

: = = = 57:03.0105N 005:20.7516E (304) = = = (25) (51)

:hisp4 = = = 57:02.8915N 005:20.6045E (214) = = = (133) (266)

: = = = 57:02.9068N 005:20.5625E (304) = = = (25) (51)

:hisp5 = = = 57:03.0258N 005:20.7097E (034) = = = (133) (266)

# Photoline

:leadin = 10.0 = 57:03.0310N 005:20.8286E (085) = = = (60) (121) CritHeight1

:leadin = 7.0 = 57:03.0769N 005:20.8286E (000) = = = (42) (85) SafeDist2

:leadin = 5.0 = 57:03.0737N 005:20.7085E (267) = = = (60) (122) CxCSOn

:leadin = 3.0 = 57:03.0265N 005:20.7109E (178) = = = (43) (88) SASOff

:fotosp1 = = = 57:02.8777N 005:20.6467E (193) = = = (141) (284)

:leadin = 7.0 = 57:02.8433N 005:20.5890E (222) = = = (43) (87)

:leadin = = = 57:02.8214N 005:20.6447E (126) = = = (34) (69)

:leadin = 3.0 = 57:02.8589N 005:20.6986E (038) = = = (44) (88)

:fotosp2 = = = 57:02.9628N 005:20.9514E (053) = = = (160) (320)

# Acoustic survey

:leadin = 20.0 = 57:03.0310N 005:21.1231E (054) = = = (107) (215) CxCOff

:hilongl1 = = = 57:03.0643N 005:21.2237E (059) = = = (59) (119) SASOn

:hilongl1 = = = 57:03.0959N 005:21.3192E (059) = = = (56) (113) CritHeight4

:hilongl1 = = = 57:03.1275N 005:21.4147E (059) = = = (56) (113) SafeDist6

:hilongl1 = = = 57:04.9592N 005:26.9599E (059) = = = (3278) (6557)

:p564 = = = 57:05.1860N 005:26.9691E (001) = = = (210) (421)

:hilongl2 = = = 57:06.6784N 005:23.0678E (305) = = = (2408) (4817)

# Lead-in to Survey Pattern

:leadin = = = 57:06.9214N 005:22.9937E (351) = = = (228) (457)

:himo01 = = = 57:07.3156N 005:22.8901E (352) = = = (369) (739)

: = = = 57:07.3220N 005:22.9686E (081) = = = (40) (80)

:himo02 = = = 57:06.9249N 005:23.0783E (171) = = = (372) (745)

: = = = 57:06.9440N 005:23.3139E (082) = = = (120) (241)

:himo03 = = = 57:07.3412N 005:23.2043E (351) = = = (372) (745)

: = = = 57:07.3505N 005:23.4306E (086) = = = (114) (229)

:himo04 = = = 57:06.9504N 005:23.3925E (183) = = = (371) (744)

: = = = 57:06.9696N 005:23.6281E (081) = = = (120) (241)

:himo05 = = = 57:07.3667N 005:23.5185E (351) = = = (372) (745)

: = = = 57:07.3731N 005:23.5971E (081) = = = (40) (80)

:himo06 = = = 57:06.9760N 005:23.7066E (171) = = = (372) (745)

: = = = 57:06.9952N 005:23.9423E (081) = = = (120) (241)

:himo07 = = = 57:07.3923N 005:23.8327E (351) = = = (372) (745)

: = = = 57:07.3987N 005:23.9113E (081) = = = (40) (80)

:himo08 = = = 57:07.0015N 005:24.0208E (171) = = = (372) (745)

:leadin = 30.0 = 57:07.0062N 005:24.2443E (088) = = = (112) (226)

: = = = 57:07.0696N 005:24.2412E (358) = = = (58) (118)

: = = = 57:06.7083N 005:24.0561E (196) = = = (348) (696)

# Lead-in to Survey Pattern

:leadin = = = 57:07.0585N 005:24.0808E (002) = = = (325) (651)

:mbmo01 = = = 57:06.9634N 005:22.9300E (261) = = = (587) (1175)

: = = = 57:07.0087N 005:22.9173E (351) = = = (42) (85)

:mbmo02 = = = 57:07.1038N 005:24.0681E (081) = = = (587) (1175)

: = = = 57:07.1491N 005:24.0554E (351) = = = (42) (85)

:mbmo03 = = = 57:07.0540N 005:22.9046E (261) = = = (587) (1175)

: = = = 57:07.0993N 005:22.8919E (351) = = = (42) (85)

:mbmo04 = = = 57:07.1944N 005:24.0427E (081) = = = (587) (1175)

: = = = 57:07.2397N 005:24.0300E (351) = = = (42) (85)

:mbmo05 = = = 57:07.1446N 005:22.8792E (261) = = = (587) (1175)

: = = = 57:07.1899N 005:22.8666E (351) = = = (42) (85)

:mbmo06 = = = 57:07.2850N 005:24.0173E (081) = = = (587) (1175)

: = = = 57:07.3303N 005:24.0046E (351) = = = (42) (85)

:mbmo07 = = = 57:07.2352N 005:22.8539E (261) = = = (587) (1175)

: = = = 57:07.2805N 005:22.8412E (351) = = = (42) (85)

:mbmo08 = = = 57:07.3756N 005:23.9919E (081) = = = (587) (1175)

: = = = 57:07.8421N 005:23.8850E (353) = = = (436) (873)

: = = = 57:07.8348N 005:23.8072E (260) = = = (39) (80)

: = = = 57:07.4172N 005:23.9062E (173) = = = (390) (781)

# Photoline

:leadin = 20.0 = 57:07.3931N 005:23.6056E (262) = = = (153) (307) SASOff

:leadin = 10.0 = 57:07.4561N 005:23.5897E (352) = = = (59) (118) SafeDist2

:leadin = = = 57:07.5191N 005:23.5738E (352) = = = (59) (118) CritHeight1

:leadin = 5.0 = 57:07.5354N 005:23.7851E (082) = = = (107) (215) CxCSOn

:leadin = 3.0 = 57:07.4156N 005:23.8137E (173) = = = (112) (224)

:fotobx1 = = = 57:07.3246N 005:23.7593E (198) = = = (88) (178)

:fotobx2 = = = 57:07.2175N 005:22.9774E (256) = = = (407) (814)

:turn = 7.0 = 57:07.2048N 005:22.8355E (261) = = = (72) (145)

:turn = = = 57:07.2672N 005:22.8170E (351) = = = (58) (117)

:turn = 3.0 = 57:07.2620N 005:22.9498E (094) = = = (67) (134)

:fotobx3 = = = 57:07.1111N 005:23.4380E (120) = = = (283) (567)

:fotobx4 = = = 57:07.1077N 005:23.5786E (093) = = = (71) (142)

:fotobx5 = = = 57:07.0069N 005:23.7419E (139) = = = (124) (249)

:turn = 7.0 = 57:06.9427N 005:23.8142E (149) = = = (69) (140)

:turn = = = 57:06.9276N 005:23.7372E (250) = = = (41) (83)

:turn = 3.0 = 57:06.9781N 005:23.7340E (358) = = = (46) (94)

:fotobx6 = = = 57:07.3846N 005:23.9516E (016) = = = (392) (786)

:fotolo = = = 57:07.8256N 005:23.8523E (353) = = = (412) (825)

: = 10.0 = 57:07.8642N 005:23.8436E (353) = = = (36) (72)

# Hisas VL

:leadin = 15.0 = 57:07.9125N 005:24.4841E (082) = = = (326) (653) CxCOff

:hip570 = = = 57:07.7115N 005:24.8088E (139) = = = (248) (497) SASOn

# photolin

:leadin = 10.0 = 57:07.6184N 005:24.9645E (138) = = = (116) (234) OutsideTurn SASOff

:leadin = 5.0 = 57:07.6278N 005:24.8803E (282) = = = (43) (87) CxCSOn

:leadin = 3.0 = 57:07.6688N 005:24.7623E (303) = = = (70) (141)

:fotop570 = = = 57:07.7819N 005:24.5872E (320) = = = (137) (274)

: = 7.0 = 57:07.7876N 005:24.5244E (279) = = = (32) (64)

# Pingbox

:pho5 = 5.0 = 57:07.7154N 005:24.3024E (239) = = = (130) (261)

:pho5 = = = 57:07.8461N 005:24.1285E (324) = = = (149) (299)

:acentlea = = = 57:07.9444N 005:24.4383E (060) = = = (181) (362) CxCOff

: = = = - - = = = = 60 - Ascent

1.9.3.3 - 3rd Dive - Mission_55_20230404_1 (Planning Dive 4 NSJ-1_3c)

HuginOS overview

4hrs 33mins, 32.95km

Image shows a screenshot of hugin OS and the dive plan for the third dive (the screen is black with a green line map shown on the left while the right is a panel with many lines of text instructions to the AUV to turn, ascend etc). One inset has been added to the map to show more detail of a complex patch at the western extent of the map, with the dive starting in the SE, transiting, north, arcing NW, then heading WSW before completing the complex patch and returning again slightly offset from the outbound line.

Text Summary

Descend close to gravity coring (GC) request sites (where it is possible there are natural leakages of oil). Start HiSAS lines at 20m over GC sites (GC5B then GC5A - sites that were added later in planning but NB are not located beside GC5), continue roughly northwards. HiSAS line over video line (planning ID P586, now VL3306). HiSAS covering Karverket flagged noise point in the north, transit towards SW covering another potential noise point in Hisas line 22. Cross over varying terrains, transit NW to cover video line (planned ID P552, now VL 3303) with HiSAS data.

Do turn to lower to 3m height and cover video line (P552, VL3303), varying terrains towards the NE, pass over noise point (line 38) that is in hisas line 22, transit to northernmost point (still taking pictures at 3m). Pass over other suspected noise point (noise3m1, hisas line “hi2_nois”).

(AT ROUGHLY THIS POINT THE AUV TOOK AN AVOIDANCE MEASURE AND ASCENDED ABOVE AN ALTITUDE WHERE THE BOTTOM IS VISIBLE, IT NEVER DESCENDED AGAIN TO THE PHOTO HEIGHT OF 3M – LEARNED TO REPEAT THE ALTITUDE COMMAND MORE OFTEN IN THE PLAN SO THAT THE AUV WILL TRY TO DESCEND AGAIN IF THERE HAD BEEN AN AVOIDANCE MEASURE – ALL PHOTOS AFTER THIS ARE OF THE WATER COLUMN)

Do photo line (intended to continue at 3m but instead was done much higher) towards the SE over video line (P586, VL3306), do photoline following HiSAS line back Southwards, do photo line over the hisas data where the GC points are found, ascend.

HuginOS mission plan

MP13

#

# Kongsberg Maritime AUV Mission Plan

# Saved 2023-04-04 14:31:18 by a37686

#

#:Tag Depth Alt DMo Latitude Longitude Course GMo Speed SMo Dur Dist Flags

#

# Opparbeider fart for å dykke

:start 0.0 20.0 D - - 090.0 H 2.30 S 180 - ETPowerOn

: = = = - - = = = = 1 - EMPowerOn

: = = = - - = = = = 1 - SASPowerOn

: = = = - - = = = = 1 - SASHighPower

: = = = - - = = = = 1 - SASMode1

: = = = - - = = = = 1 -

: = = = - - = = = = 1 - DistTrigger

: = = = - - = = = = 1 - EM400Ext

: = = = - - = = = = 1 - ETOn

: = = = - - = = = = 1 - CxCPowerOn

# Start dykk til 20m for å sjekke at alt er ok

:dykk_1 20.0 = = - - = = = S 240 - EMOn

: = = = - - = = = = 1 -

# Dykke til 20 for å sjekke status

:dykk_2 20.0 = = - - 090.0 H = = 180 -

# Går ned til bunn

:til_bunn 300.0 20.0 T - - = = 2.00 S 120 - SASOn

: = = = 57:13.0055N 005:42.0086E (090) = = = 1 - Auto

:hi_gc5b = = = 57:13.1997N 005:42.4180E (049) = = = (273) (548)

:hi_gc5a = = = 57:13.5830N 005:43.4990E (057) = = = (650) (1300)

:hisas20 = = = 57:16.1151N 005:44.1457E (008) = = = (2372) (4745)

:hi_p586 = = = 57:16.3441N 005:43.9473E (335) = = = (234) (470)

: = = = 57:16.4921N 005:43.5618E (305) = = = (237) (475) SASOn

:hi2_nois = = = 57:16.4905N 005:42.4775E (270) = = = (545) (1090)

:hisas20 = = = 57:15.9649N 005:41.4502E (227) = = = (710) (1421)

:hisas20 = = = 57:15.8187N 005:40.2927E (257) = = = (597) (1195)

:hisas20 = = = 57:15.3503N 005:37.5102E (253) = = = (1465) (2931)

:hi_p552 = = = 57:15.4694N 005:36.9468E (291) = = = (304) (608)

:leadin = 10.0 = 57:15.5258N 005:36.8728E (325) = = = (64) (128)

:leadin = = = 57:15.5293N 005:36.7356E (273) = = = (69) (138) CritHeight1

:leadin = 7.0 = 57:15.4968N 005:36.6629E (231) = = = (47) (95) SafeDist2

:leadin = 5.0 = 57:15.4560N 005:36.6823E (165) = = = (39) (78) SASOff

:leadin = = = 57:15.4363N 005:36.7704E (112) = = = (47) (96)

:leadin = 3.0 = 57:15.4363N 005:36.8551E (090) = = = (42) (85) CxCSOn

:lo_ph_3 = = = 57:15.4299N 005:36.9381E (098) = = = (42) (84)

:lo_ph_3 = = = 57:15.3163N 005:37.4914E (111) = = = (297) (595)

:lo_ph_3 = = = 57:15.8561N 005:40.2793E (070) = = = (1488) (2978)

:lo_ph_3 = = = 57:15.9159N 005:40.7674E (077) = = = (251) (503)

:lo_ph_3 = = = 57:16.0883N 005:41.3855E (063) = = = (349) (699)

:lo_ph_3 = = = 57:16.0245N 005:41.7172E (110) = = = (176) (354)

:noise = 3.0 = 57:16.0515N 005:41.9945E (080) = = = (141) (283)

:foto = 3.0 = 57:16.2291N 005:42.2093E (033) = = = (197) (394)

:foto = 3.0 = 57:16.4566N 005:42.5042E (035) = = = (257) (516)

:noise3m1 = 3.0 = 57:16.4574N 005:43.0169E (090) = = = (257) (515)

:lo_ph_3 = = = 57:16.4578N 005:43.2733E (090) = = = (128) (258)

:lo_ph_3 = = = 57:16.4582N 005:43.5297E (090) = = = (128) (258)

:lo_ph_3 = = = 57:16.3348N 005:43.8754E (123) = = = (208) (416)

:lo_ph_3 = = = 57:16.1130N 005:44.0711E (154) = = = (228) (456)

:lo_ph_3 = = = 57:13.6033N 005:43.4395E (188) = = = (2350) (4701)

: = = = 57:13.2361N 005:42.3744E (238) = = = (635) (1271)

:end = 15.0 = 57:13.1577N 005:40.7283E (265) = = = (831) (1664) CxCOff

:ascend = = = 57:15.6462N 005:36.1577E (315) = = = (3259) (6518) Ascent

1.9.3.4 - 4th Dive - Mission_55_20230405_3 (Planning Dive 6 NSJ-1_4a)

HuginOS overview

5hrs 05mins, 36.79km

Image shows a screenshot of hugin OS and the dive plan for the fourth dive (the screen is black with a green line map shown on the left while the right is a panel with many lines of text instructions to the AUV to turn, ascend etc). One inset has been added to the map to show more detail in the complex patch in the SW extent of the map. The dive starts in the NE and transits roughly SW with a few bends to overlap features along the way. The dive then completes a turn in the complex patch then follows the same line slightly offset back to the NW

Text Summary

Descend to 20m altitude. Do hisas line over video line (VL3294), transit to next video line, do hisas over video line (VL3293), both of these include flagged kartverket noise points for checking. Transit past another noise point (in HiLo3). Turn roughly southwards and transit towards video line. Do hiSAS line over video line (planned ID P560, now VL3302). Transit SW to cover features of interest, transit west towards another video line, do hisas over video line (planned ID P550, now VL3304).

Descen to 3m to do photo line over video line (P550, VL3304), continue photolines along acoustic data to east, NE, then over video line (P560, VL3302). Continue roughly Northwards, ascend to 4m as mutibeam shows rockier landscape (from line labelled “foro1”). Do photolines in vicinity of noise points and over VL3293. Photoline transit to then along VL3294, descend to 3m to continue photoline over flatter terrain (folo4) until ascending to end the dive.

HuginOS mission plan

MP13

#

# Kongsberg Maritime AUV Mission Plan

# Saved 2023-04-05 07:10:22 by hugin

#

#:Tag Depth Alt DMo Latitude Longitude Course GMo Speed SMo Dur Dist Flags

#

# Opparbeider fart for å dykke

:start 0.0 20.0 D - - 220.0 H 2.30 S 120 - ETPowerOn

: = = = - - = = = = 1 - EMPowerOn

: = = = - - = = = = 1 - SASPowerOn

: = = = - - = = = = 1 - SASHighPower

: = = = - - = = = = 1 - SASMode1

: = = = - - = = = = 1 - DistTrigger

: = = = - - = = = = 1 - EM400Ext

: = = = - - = = = = 1 - ETOn

: = = = - - = = = = 1 - CxCPowerOn

# Start dive to 20 m

:dive 20.0 = = - - 220.0 = = = 240 - EMOn

:dive 20.0 = = - - 220.0 = = = 180 -

:bottom 90.0 20.0 T - - = = 2.00 = 300 - SASOn

# Start HISAS Survey

:hilo1 = = = 57:22.3731N 005:42.1562E (220) = = = - - Auto

:hivl3294 = = = 57:22.3990N 005:41.8096E (278) = = = (175) (351)

:hilo2 = = = 57:22.1184N 005:41.4393E (215) = = = (319) (640)

:hivl3293 = = = 57:22.0994N 005:41.1802E (262) = = = (131) (262)

:hilo3 = = = 57:21.4253N 005:40.0735E (222) = = = (836) (1673)

:hilo4 = = = 57:20.4421N 005:39.9073E (185) = = = (916) (1833)

:hilowc1 = = = 57:19.9204N 005:39.8274E (185) = = = (485) (972) EMWCOn

:hilo5 = = = 57:18.2936N 005:39.5814E (185) = = = (1514) (3030) EMWCOff

:hip560 = = = 57:18.1965N 005:39.3679E (230) = = = (140) (280) SASOn

:hilo6 = = = 57:16.9623N 005:36.5789E (231) = = = (1809) (3620)

:hilo7_in = = = 57:16.8049N 005:33.1420E (265) = = = (1733) (3467) EM400Int

:hip550 = = = 57:16.6962N 005:33.0391E (207) = = = (113) (227)

# Start of Photo Survey

:leadin = 10.0 = 57:16.6216N 005:32.9888E (200) = = = (73) (147) SASOff

:leadin = 7.0 = 57:16.6038N 005:32.9298E (241) = = = (33) (68) CxCSOn

: = = = 57:16.5948N 005:32.9003E (241) = = = (16) (34) CritHeight1

: = = = 57:16.5859N 005:32.8708E (241) = = = (16) (34) SafeDist2

:turn = 4.0 = 57:16.6154N 005:32.7897E (304) = = = (49) (98)

:turn = = = 57:16.6647N 005:32.8069E (011) = = = (46) (93)

:fotolead = 3.0 = 57:16.6976N 005:32.9661E (069) = = = (85) (171)

:fotop550 = = = 57:16.8386N 005:33.0953E (026) = = = (146) (292)

:foturn = = = 57:16.8682N 005:33.1456E (043) = = = (37) (75)

:foturn = = = 57:16.8718N 005:33.2269E (085) = = = (40) (82)

:foturn = = = 57:16.8578N 005:33.3916E (099) = = = (83) (168)

:folo1 = = = 57:17.0083N 005:36.8180E (085) = = = (1727) (3455)

:folo2 = = = 57:18.1692N 005:39.4285E (051) = = = (1697) (3395)

:fotop560 = = = 57:18.2753N 005:39.6488E (048) = = = (148) (296)

:folo3 = = = 57:21.1479N 005:40.1100E (005) = = = (2675) (5352)

:foro1 = 4.0 = 57:21.4107N 005:40.1453E (004) = = = (244) (489)

:foro2 = = = 57:22.0624N 005:41.1870E (041) = = = (799) (1598)

:fovl3293 = = = 57:22.0834N 005:41.4776E (082) = = = (147) (294)

:foro3 = = = 57:22.3223N 005:41.7545E (032) = = = (261) (523)

:foturn = = = 57:22.3559N 005:41.8681E (061) = = = (64) (130)

:fovl3294 = = = 57:22.3339N 005:42.1720E (098) = = = (153) (307)

:foturn = 3.0 = 57:22.3619N 005:42.2891E (066) = = = (64) (128)

:folo4 = = = 57:22.8740N 005:43.0034E (037) = = = (595) (1190)

:end = 15.0 = 57:22.9570N 005:43.1299E (039) = = = (99) (200) CxCOff

:endend = = = 57:23.0301N 005:43.2530E (042) = = = (91) (183) Ascent

1.9.3.5 - 5th Dive - Mission_55_20230410_2 (Planning Dive 8 ALT Stav_b)

HuginOS overview

3hrs 32mins, 25.62km (but stopped collecting data after about 3hrs due to a fault on the vehicle during the dive)

Image shows a screenshot of hugin OS and the dive plan for the fifth dive (the screen is black with a green line map shown on the left while the right is a panel with many lines of text instructions to the AUV to turn, ascend etc). One inset has been added to show more detail in the complex patch in the centre of the transect where man lines are overlapping - this is where MBE/HiSAS patchs overlap with photomosaic patches at right angles to each other.

Text Summary

Descend (east of anchor points to a fish farm), transit to centre of area to do a ping box (pentagonal) at 30m altitude. Transit to SW and descend to 15m to begin multibeam patch (over a small feature, the intention is to cross this patch again at the end to monitor drift).

Ascend to 20m while transiting towards hill feature and HiSAS & MBE patch crossing hill in roughly north south direciton (Waypoints 28-38). Transt to vally and do HiSAS/MBE patch there in roughly east west patterm.

Transit round the side of the hill feature following the deeper plan/valley and begin photo mosaic at 3m altitude that crosses lower edge of the hill HiSAS patch (later video line VL3370 overlaps this patch).

Transit to 20m altitude for large HiSAS patch in roughly SW/NE direction (waypoints 103-114) then do two crosslines in roughly NW/SE direction near top end of patch.

<NOTE THAT AGAIN AN INTERNAL FAULT RESULTED IN NO DATA BEING COLLECTED AT SOME POINT DURING THIS HISAS PATCH; NO FURTHER DATA WAS COLLECTED AFTER THIS>

Pentagonal pingbox, then return to multibeam patch over small feature at 15m altitude for crosscheck of drift before ascending.

HuginOS mission plan

MP13

#

# Kongsberg Maritime AUV Mission Plan

# Saved 2023-04-10 08:14:16 by hugin

#

#:Tag Depth Alt DMo Latitude Longitude Course GMo Speed SMo Dur Dist Flags

#

# Opparbeider fart for å dykke

:start 0.0 20.0 D - - 045.0 H 2.30 S 120 - ETPowerOn

: = = = - - = = = = 1 - EMPowerOn

: = = = - - = = = = 1 - SASPowerOn

: = = = - - = = = = 1 - SASHighPower

: = = = - - = = = = 1 - SASMode1

: = = = - - = = = = 1 - DistTrigger

: = = = - - = = = = 1 - EM400Int

: = = = - - = = = = 1 - ETOn

: = = = - - = = = = 1 - CxCPowerOn

# Start dive to 20 m

:dive 90.0 = = - - 045.0 = = = 240 -

:dive 90.0 = = - - 045.0 = = = 180 - EMOn

:bottom 400.0 30.0 T - - = = 2.00 = 300 - SASOn

# Ping box

:pingbox = = = 59:07.7118N 005:58.0474E (045) = = = - - Auto

:pingbox = = = 59:07.7977N 005:58.1906E (041) = = = (105) (210)

:pingbox = = = 59:07.8710N 005:58.0709E (320) = = = (88) (178)

:pingbox = = = 59:07.8389N 005:57.8566E (254) = = = (106) (213)

:pingbox = = = 59:07.7436N 005:57.8906E (170) = = = (89) (180)

:pingbox = = = 59:07.7372N 005:58.0191E (096) = = = (61) (123)

:pingbox = = = 59:07.7376N 005:58.0794E (089) = = = (28) (58)

# MB_patch

:leadin = = = 59:07.4964N 005:57.7921E (211) = = = (262) (525)

:mb_patch = 15.0 = 59:07.4316N 005:57.7229E (209) = = = (68) (137)

:mb_patch = = = 59:07.3384N 005:57.6164E (210) = = = (100) (201)

:mb_patch = = = 59:07.3352N 005:57.6302E (114) = = = (7) (14)

:mb_patch = = = 59:07.4291N 005:57.7373E (030) = = = (101) (202)

:mb_patch = = = 59:07.4250N 005:57.7519E (119) = = = (7) (16)

:mb_patch = = = 59:07.3327N 005:57.6435E (211) = = = (100) (200) OutsideTurn

:leadin = 20.0 = 59:07.5949N 005:57.8323E (020) = = = (259) (519)

: = = = 59:07.7322N 005:58.2984E (060) = = = (256) (513)

# Lead-in to hisas+mb

:leadin = = = 59:07.7631N 005:58.3087E (010) = = = (29) (58)

:l01 = = = 59:08.1047N 005:58.4232E (010) = = = (321) (644)

: = = = 59:08.1094N 005:58.3728E (280) = = = (24) (49) OutsideTurn

:l02 = = = 59:07.7678N 005:58.2546E (190) = = = (322) (644)

: = = = 59:07.7732N 005:58.2019E (281) = = = (25) (51) OutsideTurn

:l03 = = = 59:08.1140N 005:58.3220E (010) = = = (321) (643)

: = = = 59:08.1188N 005:58.2767E (282) = = = (22) (44)

:l04 = = = 59:07.7797N 005:58.1457E (191) = = = (320) (642)

: = = = 59:07.7877N 005:58.0908E (286) = = = (27) (54)

:l05 = = = 59:08.1234N 005:58.2264E (012) = = = (318) (637)

:trans_1 = = = 59:08.2245N 005:58.3633E (035) = = = (114) (229)

:hitrans1 = = = 59:08.0133N 005:59.3439E (113) = = = (507) (1014)

:leadin = = = 59:07.9886N 005:59.3198E (207) = = = (25) (51)

:hitrans2 = = = 59:08.2021N 005:58.3365E (293) = = = (509) (1019)

:leadin = = = 59:08.1806N 005:58.3119E (210) = = = (23) (46)

:hitrans3 = = = 59:07.9670N 005:59.3032E (113) = = = (512) (1026)

:trans_3 = = = 59:07.8498N 005:58.9764E (235) = = = (190) (380)

:trans_4 = = = 59:07.7967N 005:58.7370E (247) = = = (124) (249)

:trans_5 = = = 59:07.7853N 005:58.6280E (258) = = = (53) (106) SafeDist2

:descent_ = 10.0 = 59:07.7796N 005:58.5736E (258) = = = (26) (53) CritHeight1

:descent_ = 5.0 = 59:07.7739N 005:58.5191E (258) = = = (26) (53) CxCSOn

# Lead-in to photo mosaic

:leadin = 3.0 = 59:07.7835N 005:58.4004E (279) = = = (57) (115) SASOff

:fl_01 = = = 59:07.8585N 005:58.0378E (292) = = = (186) (373) EM400Int

:fl_turn = 8.0 = 59:07.8657N 005:58.0053E (293) = = = (16) (34)

:fl_turn = = = 59:07.8996N 005:57.9950E (351) = = = (31) (64)

:fl_turn = = = 59:07.9041N 005:57.9259E (277) = = = (33) (66)

:fl_turn = = = 59:07.8884N 005:57.8862E (232) = = = (23) (48)

:fl_turn = = = 59:07.8604N 005:57.9157E (152) = = = (29) (59)

:fl_turn = 5.0 = 59:07.8639N 005:58.0014E (085) = = = (41) (82)

:leadin_f = 3.0 = 59:07.8572N 005:58.0370E (110) = = = (18) (36)

:fl_02 = = = 59:07.7822N 005:58.3992E (112) = = = (186) (373)

:fl_turn = 8.0 = 59:07.7743N 005:58.4483E (107) = = = (24) (49)

:fl_turn = = = 59:07.7856N 005:58.5147E (072) = = = (33) (67)

:fl_turn = = = 59:07.7530N 005:58.5219E (174) = = = (30) (61)

:fl_turn = = = 59:07.7476N 005:58.4560E (261) = = = (31) (64)

:fl_turn = = = 59:07.7612N 005:58.4381E (326) = = = (15) (30)

:fl_turn = 5.0 = 59:07.7716N 005:58.4327E (345) = = = (9) (20)

:leadin_f = 3.0 = 59:07.7810N 005:58.3982E (298) = = = (18) (37)

:fl_03 = = = 59:07.8560N 005:58.0357E (292) = = = (186) (373)

:fl_turn = 8.0 = 59:07.8630N 005:58.0004E (291) = = = (18) (36)

:fl_turn = = = 59:07.8967N 005:57.9896E (351) = = = (31) (63)

:fl_turn = = = 59:07.9014N 005:57.9266E (278) = = = (30) (61)

:fl_turn = = = 59:07.8848N 005:57.8859E (232) = = = (24) (50)

:fl_turn = = = 59:07.8585N 005:57.9150E (150) = = = (28) (56)

:fl_turn = 5.0 = 59:07.8618N 005:57.9995E (086) = = = (40) (81)

:leadin_f = 3.0 = 59:07.8547N 005:58.0348E (111) = = = (18) (36)

:fl_04 = = = 59:07.7796N 005:58.3973E (112) = = = (186) (373)

:fl_turn = = = 59:07.7711N 005:58.4443E (109) = = = (23) (48)

:fl_turn = 8.0 = 59:07.7827N 005:58.5137E (072) = = = (34) (70)

:fl_turn = = = 59:07.7512N 005:58.5210E (173) = = = (29) (59)

:fl_turn = = = 59:07.7463N 005:58.4556E (262) = = = (31) (63)

:fl_turn = = = 59:07.7597N 005:58.4339E (320) = = = (16) (32)

:fl_turn = 5.0 = 59:07.7693N 005:58.4281E (343) = = = (9) (19)

:leadin_f = 3.0 = 59:07.7784N 005:58.3963E (299) = = = (17) (35)

:fl_05 = = = 59:07.8534N 005:58.0334E (292) = = = (186) (373)

:fl_turn = 8.0 = 59:07.8607N 005:57.9972E (291) = = = (18) (37)

:fl_turn = = = 59:07.8956N 005:57.9849E (350) = = = (32) (66)

:fl_turn = = = 59:07.9000N 005:57.9268E (278) = = = (28) (56)

:fl_turn = = = 59:07.8823N 005:57.8836E (231) = = = (26) (53)

:fl_turn = = = 59:07.8569N 005:57.9128E (149) = = = (27) (55)

:fl_turn = 5.0 = 59:07.8596N 005:57.9956E (086) = = = (39) (79)

:leadin_f = 3.0 = 59:07.8525N 005:58.0310E (111) = = = (18) (36)

:fl_06 = = = 59:07.7770N 005:58.3959E (112) = = = (187) (375)

:fl_turn = 8.0 = 59:07.7674N 005:58.4419E (112) = = = (23) (47)

:fl_turn = = = 59:07.7792N 005:58.5102E (071) = = = (34) (69)

:fl_turn = = = 59:07.7493N 005:58.5191E (171) = = = (28) (56)

:fl_turn = = = 59:07.7449N 005:58.4530E (263) = = = (31) (64)

:fl_turn = = = 59:07.7596N 005:58.4294E (320) = = = (17) (35)

:fl_turn = 5.0 = 59:07.7695N 005:58.4237E (344) = = = (9) (19)

:leadin_f = 3.0 = 59:07.7759N 005:58.3946E (293) = = = (15) (30)

:fl_07 = 3.0 = 59:07.8512N 005:58.0297E (292) = = = (187) (375)

:end_foto = 20.0 = 59:07.8577N 005:57.9940E (290) = = = (18) (36) CxCSOn

:trans = = = 59:07.8424N 005:57.9169E (249) = = = (39) (79) CritHeight4

:trans = = = 59:07.8467N 005:57.8539E (278) = = = (30) (61) SafeDist6

# Lead-in to Survey Pattern

:leadin = = = 59:07.8383N 005:57.8332E (232) = = = (12) (25) SASOn

:mb_d_01 = = = 59:07.6047N 005:57.5654E (211) = = = (251) (503)

:mb_turn = = = 59:07.5907N 005:57.6105E (121) = = = (25) (50)

:mb_d_02 = = = 59:07.8257N 005:57.8771E (030) = = = (252) (505)

:mb_turn = = = 59:07.8129N 005:57.9227E (119) = = = (24) (50)

:mb_d_03 = = = 59:07.5779N 005:57.6552E (210) = = = (252) (506)

:mb_turn = = = 59:07.5625N 005:57.7026E (122) = = = (26) (54)

:mb_d_04 = = = 59:07.8012N 005:57.9695E (030) = = = (255) (511)

:mb_turn = = = 59:07.7902N 005:58.0164E (115) = = = (24) (49)

:mb_d_05 = = = 59:07.5535N 005:57.7432E (211) = = = (255) (511)

:mb_turn = = = 59:07.5418N 005:57.7898E (116) = = = (24) (49)

:mb_d_06 = = = 59:07.7785N 005:58.0649E (031) = = = (255) (512)

:mb_trans = = = 59:07.8445N 005:57.7904E (295) = = = (144) (289)

:mb_trans = = = 59:07.8185N 005:57.7570E (213) = = = (28) (58)

:mb_xline = = = 59:07.7393N 005:58.0718E (116) = = = (167) (334)

# Pingbox

:pingbox = = = 59:07.7983N 005:58.1951E (047) = = = (80) (161)

:pingbox = = = 59:07.8781N 005:58.0685E (321) = = = (95) (191)

:pingbox = = = 59:07.8488N 005:57.8470E (256) = = = (109) (218)

:pingbox = = = 59:07.7407N 005:57.8845E (170) = = = (101) (204)

:pingbox = = = 59:07.6912N 005:57.9917E (132) = = = (68) (138)

:leadin_x = = = 59:07.4641N 005:57.5558E (225) = = = (296) (592)

# X-line MB-patch

:leadinx = 15.0 = 59:07.3964N 005:57.6548E (143) = = = (78) (157) SASOff

:mb_xxx = = = 59:07.3799N 005:57.7280E (114) = = = (38) (76)

:leadout = = = 59:07.2753N 005:57.1789E (250) = = = (279) (559)

:mb_off = = = 59:07.2452N 005:57.1230E (224) = = = (38) (77) EMOff

:ascend1 = 100.0 = 59:07.2025N 005:57.0392E (225) = = = (56) (113)

:ascend2 = = = 59:07.5390N 005:57.5881E (040) = = = (407) (815)

: = = = 59:07.0746N 005:56.7893E (221) = = = (575) (1151) Ascent

Appendix 3 - Details of AUV MBE Issues

Information provided by Tor Jan Meek, Kartverket

As we saw last year on the “metodetokt”, the general quality of the MBE data is very good. There are a few outliers as can be expected but they are within +/- 10 cm and can easily be filtered out.

Example1:

Image shows a screenshot from Caris MBE cleanig software where MBE data from the second dive is shown with insets that show data in crossection to see how lines collected alongsie each other align in depth records - this shows good data which are collected imediatey after eachother and match up well

These data from dive 55_20230403_1 have not been filtered except from trimming the outer beams to minimize the effect of slightly incorrect sound velocity. Each line has a different colour in the 2D and 3D window while surface in the window behind is coloured by depth.

Incorrect sound velocity:

Iage shows a repeat of the inset crossection of MBE data from the figure above, but with some pings highlighted as being artifacts of incorrect sound velocity generally where lines overlap

Grey dots showing points from outer beams that have been filtered out.

In shallow areas like this it would be beneficial with more CTD profiles spread out in time and position to avoid or minimize problems with sound velocity.

As we can see in example1 above, there is good correlation between lines surveyed within a short timeframe. The four lines in the 2D window were surveyed within a timeframe of 30 minutes.

However, when comparing the lines going east-west to the lines going north-south, surveyed about one and a half hour later, we can see that there are misalignments between the lines. It is to some degree noticeable in the surface but is more evident when looking at the lines in the 2D window.

Example2:

Image shows a screenshot from Caris MBE cleanig software where MBE data from the second dive is shown with insets that show data in crossection to see how lines collected alongsie each other align in depth records. Here the crossections are zoomed in further to show the mismatch in depth values - here data collected 1.5 hours apart but overlapping shows a mismatch in depth records of around 15cm

We have also found some significant errors in absolute position when comparing data from “Munin” to data from surface vessels. The most concerning error was found on 55_20230401_6 where we could observe an error of around 30 meters.

Image shows a CARIS screenshot zoomed in on MBE data in Caris where the AUV MBE is overlapping surface vessel MBE - a deeper trench feture runs from the bottom to the top but has misalignment of around 30m in the AUV data as compared to the surface data

Data from surface vessel behind and data from “Munin” on top.

When discussing this with Kongsberg they think it can be related to HiPap problems but that is not yet confirmed and needs looking into.

We also could observe smaller but still significant difference in other areas too as shown below

Image shows a CARIS screenshot with a ine across the MBE data and an inset showing line graphs of dept values labeled as munin (AUV, deeper) and clinton (surface vessel data, shallower) with an offset of about 40cm depth. This image is 1 of 2 similar examples

Image shows a CARIS screenshot with a ine across the MBE data and an inset showing line graphs of dept values labeled as munin (AUV, deeper) and clinton (surface vessel data, shallower) with an offset of about 40cm depth. This image is 2 of 2 similar examples

There were also some problems with position errors between adjacent surveylines as shown below in an example from 55_20230410_2.

Image shows a screenshot from Caris MBE cleanig software where MBE data from the second dive is shown with insets that show data in crossection to see how lines collected alongsie each other align in depth records. Here adjacent lines have a misalignment both in space (of around 1m) and depth (of around 10cm) after only 30mins after los of turns that shuould have minimised drfit

These were lines run 25 minutes apart as part of a photo mission. They were short lines about 6-7 minutes long with 180 degree turns between. According to Kongsberg this is optimal for minimizing the drift in navigation but still we can observe a drift around one meter in position and 10 cm in depth in less than 30 minutes.